High Street, Cottenham

Asking Price
£215,000
SSTC
This property listing is now SSTC

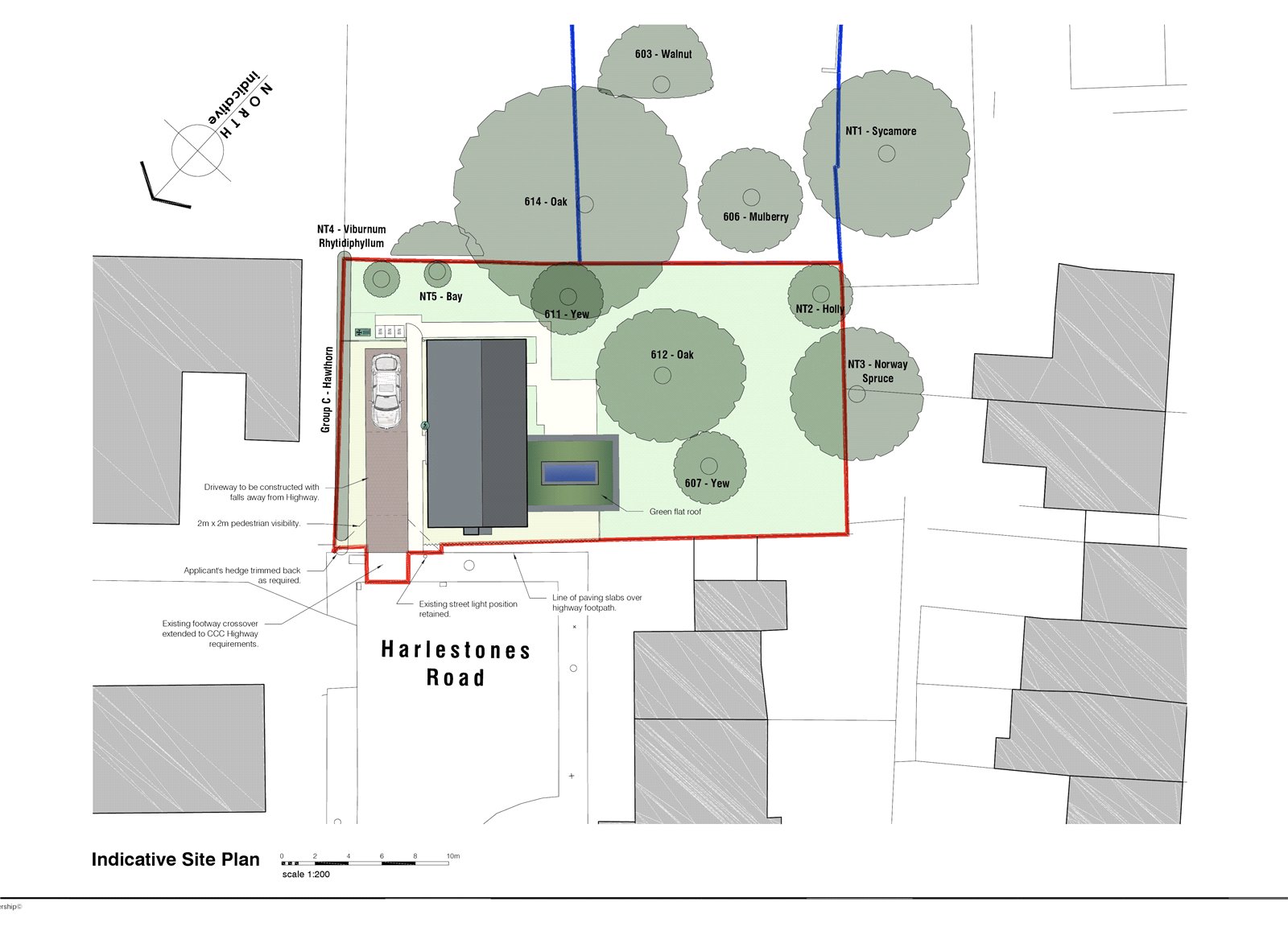
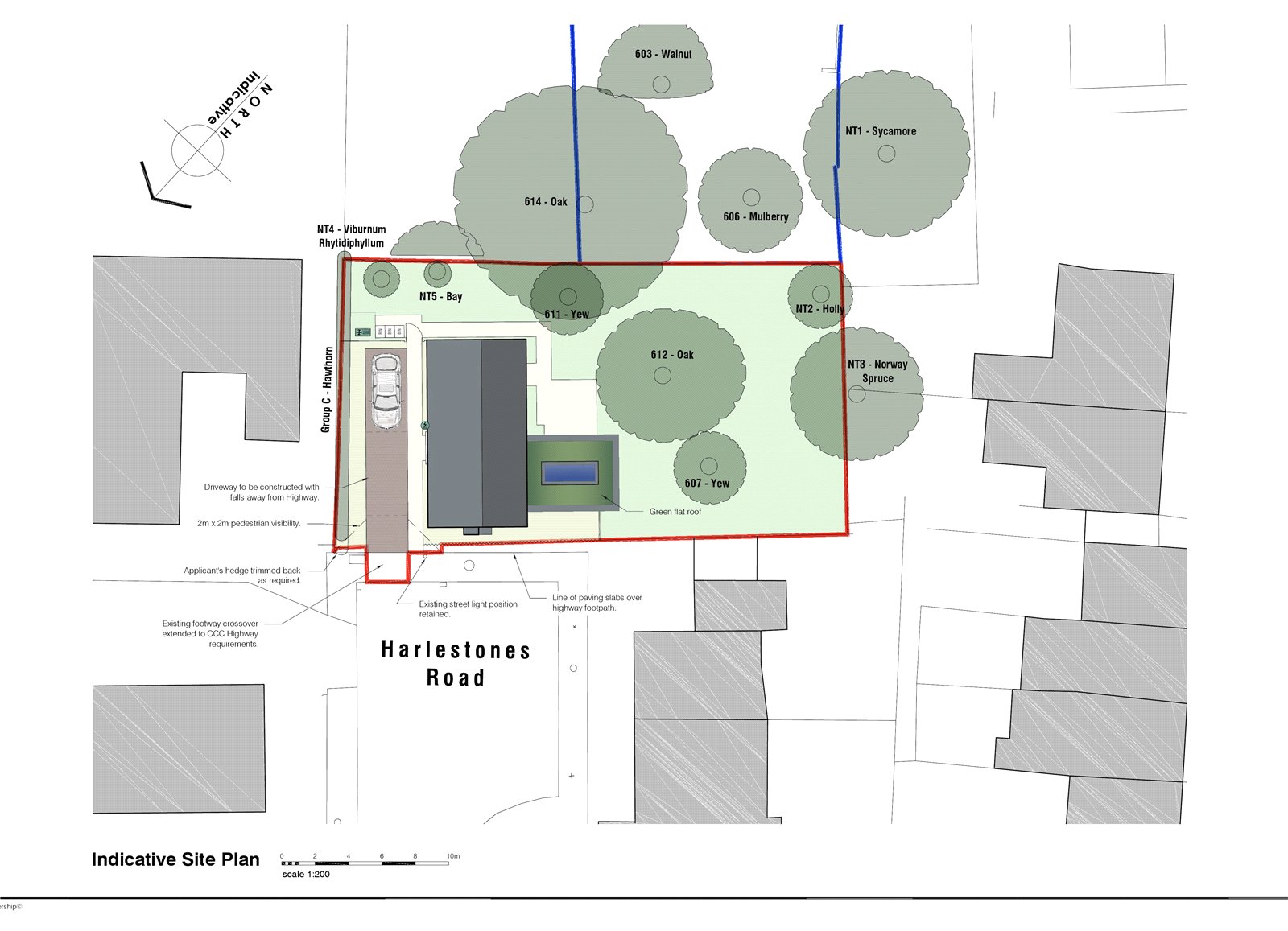
Land for sale in Cambridge

  • Single building plot.
  • Private mature location.
  • Access via Lambs Lane and Harlestones Road.
  • Outline planning permission for a single dwelling.
  • Well served village
  • Easy access to Cambridge, the Science Park and Cambridge North Station.
  • Site viewing via Tylers Histon office.

Garden land to the north of 300 High Street Cottenham has been pegged out to show that being sold. The land measures STS approximately 493sq.m//5320 sq.ft. Access is not permitted via the side of 300 High Street and across their garden for viewings without prior agreement with Tylers.

Photographs and drawings have been included in all Tylers online marketing and a breakdown of all associated documents can be viewed at South Cambs District Council planning portal searching CB24 8TX or 24/0302/OUT.

Property Ref: CAM220057

Share:

Similar Properties

Groves Way, Cottenham

3 Bedroom End of Terrace House | Asking Price £195,000

A stunning three bedroom end of terrace 50% shared ownership home on this development of new properties on the edge of t...

Windmill Lane, Histon

2 Bedroom Ground Floor Flat | Guide Price £185,000

A fantastic opportunity to acquire a smart two bedroom ground floor apartment with direct access out to the garden withi...

Wellbrook Way, Girton

1 Bedroom Flat | Asking Price £165,000

[OVER 55's] A well-presented and generously proportioned one bedroom first floor apartment situated in this sought-after...

Appletrees, Bar Hill

2 Bedroom End of Terrace House | Asking Price £225,000

A two double bedroom end of terrace home facing a designated green space with a garage benefitting from no upward sales...

Kay Hitch Way, Histon

1 Bedroom Ground Floor Flat | Asking Price £250,000

An immaculately presented one bedroom ground floor apartment with a large living room situated in this modern and highly...

Pine Court, Impington

1 Bedroom Terraced House | Asking Price £255,000

A one bedroom three storey home with garage and driveway occupy an excellent position alongside the guided busway linkin...

Tylers Estate Agents (Histon)

Histon, Cambridgeshire, CB24 9JD

01223 214400

How much is your home worth?

Use our short form to request a valuation of your property.

Request a Valuation

Mortgage Calculator

Amount Borrowed: £
Total Amount Repayable: £
Total Monthly Payment: £
©2026 The Guild of Property Professionals. All rights reserved. Terms and Conditions | Privacy Policy | Cookie Policy | Complaints Policy | Members Login
The Guild of Property Professionals Trading Address: 121 Park Lane, London W1K 7AG. GPEA Limited. Registered in England & Wales.  Company No: 02819824.  Registered Office Address: 2 St. Stephen's Court, St. Stephen's Road, Bournemouth, Dorset, England, BH2 6LA.  VAT Registration No: 576 8795 61
Book a Property Valuation Update Cookies Preferences