London Road, Battle

Guide Price
£109,000
SSTC
This property listing is now SSTC

Land for sale in East Sussex

GUIDE PRICE: £109,000-£129,000

BRIDLEWAY WITHIN 150METRES OF THE LAND MAKING IT SUITABLE FOR EQUESTRIAN POSSIBILITIES.

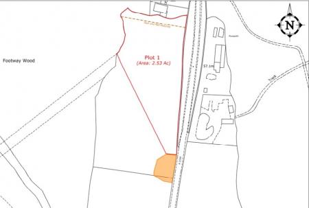
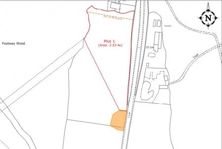
MAIN SPECIFICATIONS FOR LOT 1: LAND OF 2.53 ACRES OF WHAT IS CONSIDERED TO BE NATURALLY WELL DRAINED GRASS PADDOCKS FOR GRAZING ANIMALS ETC * HAVING BEEN RECENTLY RE-FENCED * ALSO COMES WITH MOBILE WOODEN FIELD SHELTER ON SKIDS AND RAINWATER HARVESTER * EASY ACCESS OFF MAIN LONDON ROAD A2100 NEAR BATTLE * ALSO TO BE SOLD WITH A WAYLEAVE TO ALLOW WATER OR ELECTRIC TO GO UNDER GROUND TO ALLOW CONNECTIONS SHOULD THE PURCHASER WISH TO CONNECT TO UTILITIES *

DESCRIPTION: A rare opportunity to purchase 2.53 acres of grass paddocks for grazing animals, which has also been recently refenced and enjoys excellent access onto the Battle to London A2100 main road. The land appears to drain naturally quite well and tends to remain fairly firm also during winter.

The land comes with a wooden mobile field shelter and also a large rainwater harvester system. However, there is also the benefit of a wayleave to allow water or electric to go underground for connection to utilities should the purchaser require this in the future.

The land is slightly undulating in places and is understood not to of had any chemical fertilizers etc on it for many years.

SITUATION: Located only a short drive of Battle and set off the London to Battle A2100 main road, this land has excellent road access.

Battle is a pleasant country town with a good selection of shops and other facilities. The main line station goes to London Charing on a regular basis.

The local road network is also able to provide good access to all sorts of required logistics.

PLEASE NOTE: VIEWING IS TO BE CONFIRMED WITH THE AGENT AT ALL TIMES.

Important Information

  • This is a Freehold property.

Property Ref: FAN220011

Share:

Similar Properties

Vines Cross, East Sussex

Land | Guide Price £100,000

GUIDE PRICE £100,000 - £150,000• 3 ACRES OF LEVEL GRAZING LAND • RURAL LOCATION SET OFF A PRIVATE VEHICLE FARM TRACK AWA...

Rocks Road, Uckfield

Land | Guide Price £100,000

GUIDE PRICE £100,000 TO £120,000MAIN SPECIFICATION: LOT 8 BEING A RARE CHANCE TO PURCHASE APPROXIMATELY 1.6 ACRES OF GRA...

Rocks Road, Uckfield

Land | Guide Price £100,000

GUIDE PRICE £100,000 TO £150,000MAIN SPECIFICATION: LOT 7 BEING A RARE CHANCE TO PURCHASE APPROXIMATELY 2 ACRES OF GRAZI...

Pashley Road, Ticehurst

Land | Guide Price £110,000

GUIDE PRICE £110,000LAND AND FARMS DEPARTMENTLOCAL OFFICE 01323 833630LONDON OFFICE 0203 0965353JUST UNDER 5 ACRES OF LA...

Moat Wood, East Hoathly

Land | Guide Price £110,000

GUIDE PRICE £110,000• A CHANCE TO OWN YOUR OWN PIECE OF NATURE • 8.21 ACRES OF WOODLAND • WALKING DISTANCE OF EAST HOATH...

London Road, Battle

Land | Guide Price £120,000

GUIDE PRICE: £120,000-£140,000BRIDLEWAYS WITHIN 150METRES OF THE LAND MAKING IT SUITABLE FOR EQUESTRIAN POSSIBILITIES.MA...

Neville & Neville Estate Agents (Hailsham)

Cowbeech, Hailsham, East Sussex, BN27 4JL

01323 833 630

How much is your home worth?

Use our short form to request a valuation of your property.

Request a Valuation

Mortgage Calculator

Amount Borrowed: £
Total Amount Repayable: £
Total Monthly Payment: £
©2026 The Guild of Property Professionals. All rights reserved. Terms and Conditions | Privacy Policy | Cookie Policy | Complaints Policy | Members Login
The Guild of Property Professionals Trading Address: 121 Park Lane, London W1K 7AG. GPEA Limited. Registered in England & Wales.  Company No: 02819824.  Registered Office Address: 2 St. Stephen's Court, St. Stephen's Road, Bournemouth, Dorset, England, BH2 6LA.  VAT Registration No: 576 8795 61
Book a Property Valuation Update Cookies Preferences