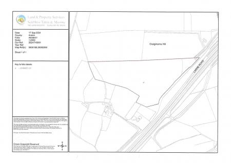
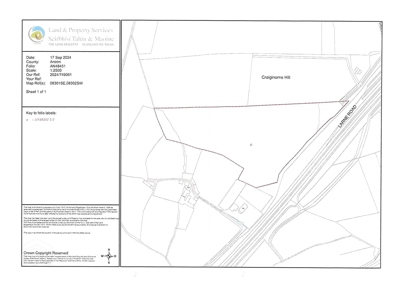
Larne Road, Kilwaughter, Ballyclare, County Antrim, BT39

POA

House for sale in Ballyclare

Circa 7.5 acres for sale in Kilwaughter, Ballyclare/Larne.

The land is situated just off the A8 on way into Larne from Belfast, making it easily accessible for visitors.

The land was previously leased by 'Delta Force Paintball' for commercial use as a paintball centre. This therefore now presents an excellent business opportunity that is ready to go.

The land was granted full planning permission for this use in 2011 (Application No. F/2008/0330/F).

Set in the picturesque countryside of County Antrim, the landscape consists of thick, lush shrubbery, offering the perfect environment for paintball playing. There are four large, separate game zones in varied terrains.

There are a large number of welded barrel pyramids remainnig on site but the timber structures have now been removed and there is no paintballing equipment included.

Price on application. The seller is open to sensible offers including part-exchange.

Property Ref: 26200_WAB250130

Share:

Similar Properties

Ecosse, Kinora Terrace, Portstewart, County Londonderry, BT55

2 Bedroom Flat | Guide Price £375,000

This impressive third floor apartment, built c. 2003, is set on the idyllic Portstewart coastline enjoying panoramic sea...

Ulsterville Avenue, Lisburn Road, Belfast, County Antrim, BT9

8 Bedroom End of Terrace House | Guide Price £260,000

Large townhouse located just off the prestigious Lisburn Road in South Belfast. This property is within close proximity...

Dromona Road, Cullybackey, Ballymena, County Antrim, BT42

5 Bedroom House | Guide Price £250,000

An attractive family home located in Cullybackey. The property is situated in a small community of similar family homes...

Upper Malone Road, Belfast, County Antrim, BT9

5 Bedroom Detached House | Guide Price £595,000

An attractive 1930s property located on the prestigious Upper Malone Road in BT9.

Wilsons Auctions - Newtownabbey (Newtownabbey)

22 Mallusk Road, Newtownabbey, Antrim, BT36 4PP

02890 342 626

How much is your home worth?

Use our short form to request a valuation of your property.

Request a Valuation

Mortgage Calculator

Amount Borrowed: £
Total Amount Repayable: £
Total Monthly Payment: £
©2025 The Guild of Property Professionals. All rights reserved. Terms and Conditions | Privacy Policy | Cookie Policy | Complaints Policy | Members Login
The Guild of Property Professionals Trading Address: 121 Park Lane, London W1K 7AG. GPEA Limited. Registered in England & Wales.  Company No: 02819824.  Registered Office Address: 2 St. Stephen's Court, St. Stephen's Road, Bournemouth, Dorset, England, BH2 6LA.  VAT Registration No: 576 8795 61
Book a Property Valuation Update Cookies Preferences