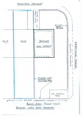
Site with OPP Adjacent to 14 Edenvale Crescent

Offers Over
£75,000
SSTC
This property listing is now SSTC

Plot for sale in BELFAST

  • A Rare Development Opportunity to Purchase a Generous Site Conveniently Located on the Corner of Edenvale Crescent and Edenvale Drive, off the ever popular Belmont Road in East Belfast
  • Outline Planning Permission for a New End Terrace House
  • Close Proximity to Ballyhackamore and Belmont Villages
  • Belfast City Centre is also within Easy Commute
  • LA04/2023/4128/O - Planning Reference Number

This is a rare opportunity to purchase a site that is generously sized for the local vicinity in a prime location and highly regarded area of Belmont in East Belfast. This site with outline planning permission for an end terrace house is situated at the corner of Edenvale Crescent and Edenvale Drive and includes for off street parking.

This location provides ease of access for the city commuter and is in close proximity to a wide and varied range of leading primary and post primary schools. Holywood Exchange and Belfast City Airport are also close at hand, as are Stormont Estate, Ulster Hospital and many other local recreational facilities. Belmont and Ballyhackamore Villages are virtually on your doorstep.

Property Ref: 44458_34007998

Share:

Similar Properties

Site with OPP Adjacent to 14 Edenvale Crescent, BELFAST, BT4 2BH

Not Specified | Offers Over £75,000

This is a rare opportunity to purchase a site that is generously sized for the local vicinity in a prime location and hi...

Parkgate Parade, BELFAST, BT4 1ET

2 Bedroom Terraced House | Offers in region of £75,000

We are delighted to bring to the market this mid terrace property priced to allow for modernisation, which comprises of...

Greenwood Park, BELFAST, BT4 3JN

3 Bedroom Semi-Detached House | £1,450pcm

We are delighted to bring to the market this superb three-bedroom semi-detached property situated just off the Upper New...

Knock Link, BELFAST, BT5 6GG

2 Bedroom Apartment | Offers in region of £84,950

This well presented apartment offers bright and spacious accommodation throughout. Conveniently located in a popular res...

Apartment 22 The Sorting Office, 10 Trillick Street, Belfast, BT5 4TD

1 Bedroom Apartment | Offers in region of £89,950

We are delighted to bring to the market this one bedroom second floor apartment located just off the ever-popular Beersb...

943 Upper Newtownards Road

2 Bedroom Terraced House | Offers Over £94,950

Conveniently located on the Upper Newtownards Road in the heart of Dundonald, directly opposite the Ulster Hospital, thi...

John Minnis Estate Agents (Greater Belfast)

404 Upper Newtownards Road, Greater Belfast, Belfast, BT4 3GE

028 9065 3333

How much is your home worth?

Use our short form to request a valuation of your property.

Request a Valuation

Mortgage Calculator

Amount Borrowed: £
Total Amount Repayable: £
Total Monthly Payment: £
©2025 The Guild of Property Professionals. All rights reserved. Terms and Conditions | Privacy Policy | Cookie Policy | Complaints Policy | Members Login
The Guild of Property Professionals Trading Address: 121 Park Lane, London W1K 7AG. GPEA Limited. Registered in England & Wales.  Company No: 02819824.  Registered Office Address: 2 St. Stephen's Court, St. Stephen's Road, Bournemouth, Dorset, England, BH2 6LA.  VAT Registration No: 576 8795 61
Book a Property Valuation Update Cookies Preferences