Efailwen, Mynachlogddu, Clynderwen

£110,000

Plot for sale in Clynderwen

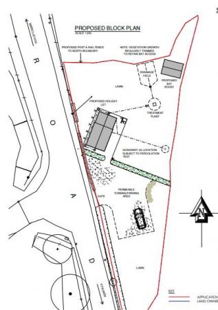
A rare opportunity to acquire a former dynamite/gun powder store for conversion and end extension of to one bedroom self catered holiday let and new build bat roost/log store set within the Pembrokeshire Coast National Park.

Planning Permission - Planning has been granted by Pembrokeshire Coast National Park under application number NP/19/0392/FUL for Conversion and end extension of former dynamite/gun powder store to 1-bed self catered holiday let and new build bat roost/log store.

Services - Understood to be available in the vicinity of the property.

Local Authority - Pembrokeshire Coast National Park Authority
Llanion Park
Pembroke Dock
Pembrokeshire. SA72 6DY
Tel: 01646 624800
Fax: 01646 689076

Property Ref: 278594_32962548

Share:

Similar Properties

Llanllwni, Pencader

Plot | £110,000

An exciting opportunity to acquire a Detached Stone Barn with Lawned Gardens to the Side and Rear with views to both the...

Riverhill Cottages, St Dogmeals, Cardigan

1 Bedroom Semi-Detached Bungalow | £100,000

A One Bedroom Semi Detached Bungalow situated within the popular coastal village of St.Dogmaels Just a short distance aw...

Crymych

Land | £100,000

An excellent opportunity to acquire approximately 10 acres of gently sloping pastureland set amidst the beautiful rollin...

Maesyfrenni, Crymych

2 Bedroom End of Terrace House | £125,000

A two bedroom end terraced property situated in the ever popular village of Crymych, within easy walking distance of the...

Cwm Cou, Newcastle Emlyn

2 Bedroom Terraced House | £125,000

We are pleased to offer this two bedroom terraced house offers a perfect blend of comfort and convenience. With two well...

St. Mary Street, Cardigan

Commercial Property | £140,000

A deceptive and spacious commercial premises situated just off the High Street in the market town of Cardigan. The prope...

JJ Morris (Cardigan)

5 High Street, Cardigan, SA43 1HJ

01239 612343

How much is your home worth?

Use our short form to request a valuation of your property.

Request a Valuation

Mortgage Calculator

Amount Borrowed: £
Total Amount Repayable: £
Total Monthly Payment: £
©2025 The Guild of Property Professionals. All rights reserved. Terms and Conditions | Privacy Policy | Cookie Policy | Complaints Policy | Members Login
The Guild of Property Professionals Trading Address: 121 Park Lane, London W1K 7AG. GPEA Limited. Registered in England & Wales.  Company No: 02819824.  Registered Office Address: 2 St. Stephen's Court, St. Stephen's Road, Bournemouth, Dorset, England, BH2 6LA.  VAT Registration No: 576 8795 61
Book a Property Valuation Update Cookies Preferences