Gwinear, Reawla, TR27 5HD

Guide Price
£180,000

Plot for sale in Cornwall

  • PLANNING PERMISSION GRANTED FOR A FOUR BEDROOM DETACHED HOME PA21/11901
  • SET IN THE QUIET VILLAG OF WALL
  • OFF ROAD PARKING FOR TWO CARS
  • GARDEN
  • APPROXIMATELY 400 SQ METERS

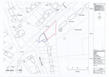
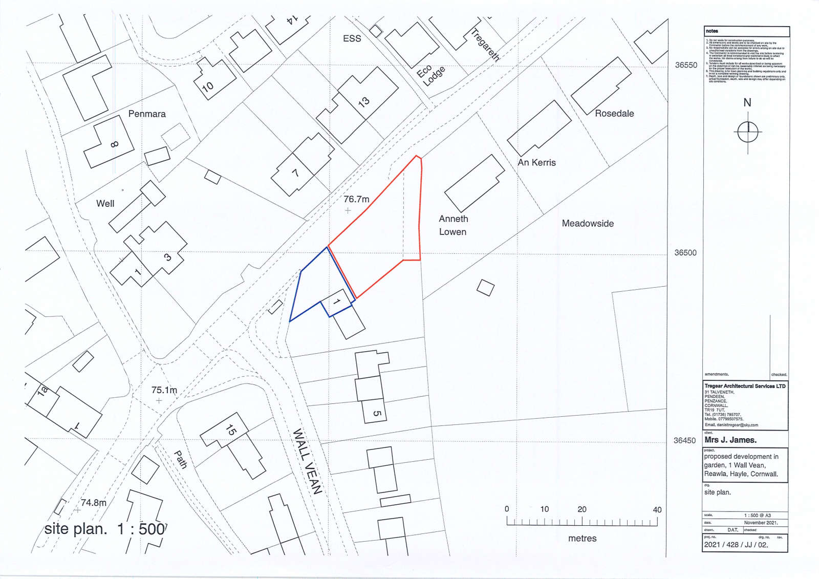
This individual building plot with planning PA21/11901 has planning granted for a four bedroom detached residence with ground floor accommodation consisting of living room, separate dining room, kitchen and study with hallway and entrance porch. On the first floor is main bedroom with en suite, three further bedrooms and family bathroom. The completed property will have private parking and an enclosed garden. The plot is for sale with an asking price of £180,000, freehold. Located in the popular village of Reawla, within easy travelling distance of Hayle and the Three Miles of Golden Sands, shops and amenities, but also centrally located for Camborne, Helston and Penzance. There will be a CIL charge applicable of £12,391.51.

Important Information

  • This is a Freehold property.

Property Ref: 111122_GNB_HAYLE_SALE_PRP_2040

Share:

Similar Properties

Heabrook Parc, Heamoor, TR18 3QR

1 Bedroom Bungalow | £180,000

A one bedroom terraced bungalow with gardens, garage and parking, situated on the outskirts of the village of Heamoor wi...

East Terrace, Penzance, TR18 2TB

2 Bedroom Apartment | Guide Price £180,000

A purpose built McCarthy Stone two bedroom, ground floor apartment in a secure self-contained environment close to the t...

Carnyorth, St. Just, TR19 7QD

2 Bedroom Terraced House | £180,000

A nicely presented and recently refurbished mid terrace granite cottage, situated in the small hamlet of Carnyorth, betw...

Wesley Street, Heamoor, TR18 3EW

2 Bedroom Terraced House | Guide Price £190,000

A granite mid terrace cottage, situated in a residential street within the popular village of Heamoor, with all its loca...

Tyringham Road, Lelant, St. Ives, Cornwall, TR26 3LJ

4 Bedroom Terraced House | £190,000

PUBLIC NOTICE – The vendor has been in receipt of an offer of £190,000 subject to contractfor the above property. Anyone...

Trewellard, Pendeen, TR19 7AL

3 Bedroom Semi-Detached House | Guide Price £199,950

Beautifully presented three bedroom semi detached stone property with garden and parking to the rear, situated in the po...

Marshalls Estate Agents (Penzance)

6 The Greenmarket, Penzance, Cornwall, TR18 2SG

01736 360203

How much is your home worth?

Use our short form to request a valuation of your property.

Request a Valuation

Mortgage Calculator

Amount Borrowed: £
Total Amount Repayable: £
Total Monthly Payment: £
©2025 The Guild of Property Professionals. All rights reserved. Terms and Conditions | Privacy Policy | Cookie Policy | Complaints Policy | Members Login
The Guild of Property Professionals Trading Address: 121 Park Lane, London W1K 7AG. GPEA Limited. Registered in England & Wales.  Company No: 02819824.  Registered Office Address: 2 St. Stephen's Court, St. Stephen's Road, Bournemouth, Dorset, England, BH2 6LA.  VAT Registration No: 576 8795 61
Book a Property Valuation Update Cookies Preferences