Portloe, The Roseland Peninsula

Guide Price
£410,000

4 Bedroom Plot for sale in Cornwall

2 4 3
  • Unique opportunity to build your dream home
  • Building Plot with Planning Permission for detached House
  • Picturesque location between Portloe and Portholland
  • Foundations already laid.
  • South facing boasting spectacular views
  • Attached garage and parking
  • Three / Four bedroom accommodation

Cruggan Building Plot
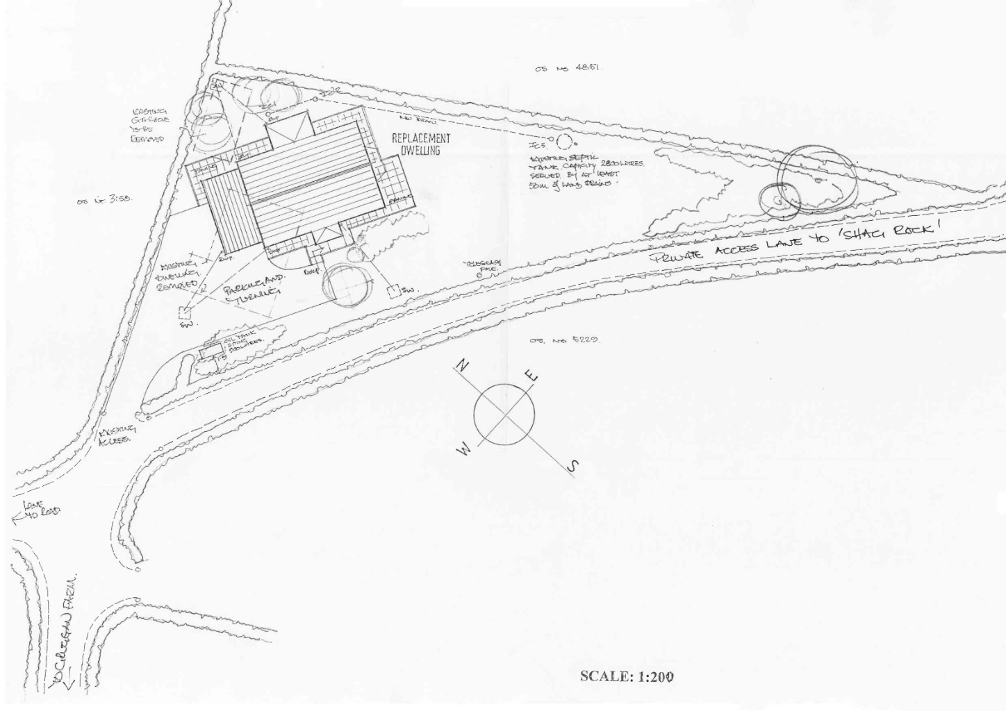
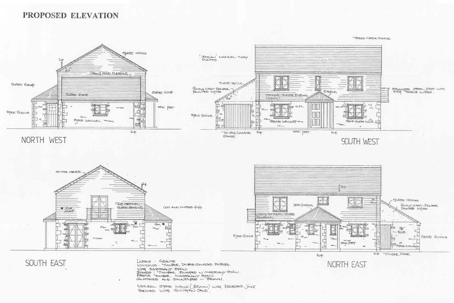
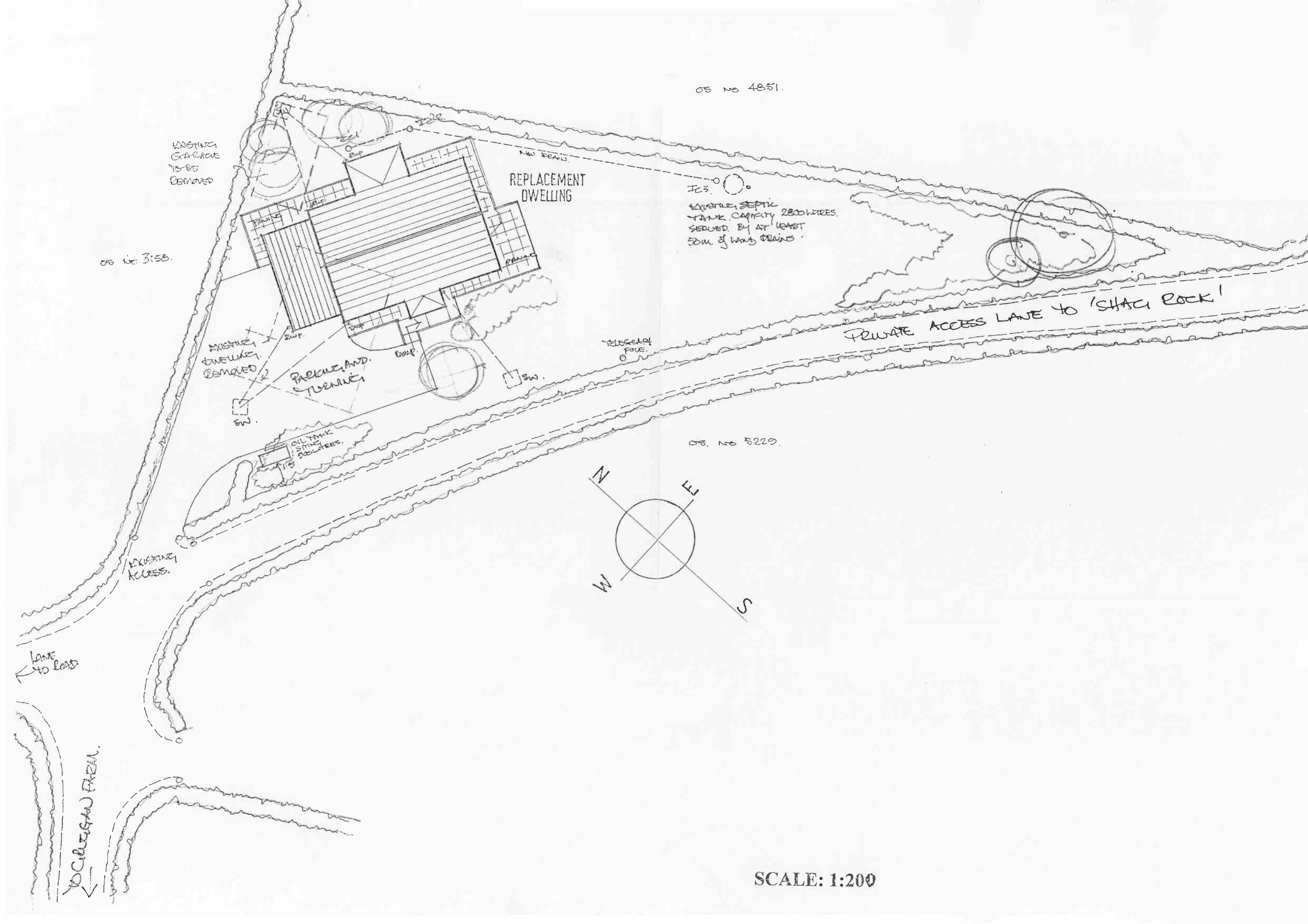
A unique opportunity to purchase an individual building plot with planning permission for a farmhouse style three-bedroom detached house, with attached garage, driveway parking and garden, with fabulous sea, coastal and countryside views.

DescriptionNestled in the picturesque landscape between Portholland and Portloe, this 'one of a kind' building plot of approximately 0.2 acres presents a unique opportunity to create your dream home in a truly enchanting location. With planning permission already granted, under application number C1/PA36/1262/05/R, for a stunning 3 / 4 bedroom farmhouse style property, the possibilities are endless. The foundations have already been laid, so planning is granted in perpetuity, and the site benefits from mains electricity already connected, a private water supply and a private septic tank in situ.
Proposed PropertyThe proposed property will sit facing South and boasts spectacular sea views overlooking the sparkling waters of Veryan Bay and extending further over neighbouring fields towards Dodman Point, offering the perfect blend of natural beauty and rural tranquility.
In addition to the stunning vistas, this proposed property benefits from provisions for driveway parking, attached single garage and a garden, and offers ample space for outdoor activities and relaxation.
LocationWith village amenities just a short distance away in the nearby villages of Veryan and Tregony, you can enjoy the convenience of nearby shops, pubs, and services while still relishing in the peaceful seclusion of this idyllic location.
With building plots of this nature rarely available on the Roseland Peninsula, viewing is unhesitatingly recommended.
Location Summary(Distances and times are approximate)Veryan Post Office and Stores: 2.1 miles. Roseland Garage & Petrol Station: 2.3 miles. Portloe Harbour: 1.3 miles. Carne Beach: 3.4 miles. Tregony: 4 miles. Truro: 11.3 miles. Cornwall Airport Newquay: 20 miles (flights to London, other UK Regional Airports and European Destinations). St Austell: 11.5 miles (London Paddington 4.5 hours by direct train).
PortloePortloe is a very attractive, protected and unspoilt fishing village, located on the Roseland Peninsula, an Area of Outstanding Natural Beauty with safe sailing waters. It has a fine hotel, a public house, bus service and Fibre Broadband. The village of Veryan is approximately 1.5 miles, and provides a primary school, Church, mini-market / post office and public house. St Mawes and Tregony have more comprehensive facilities and are approximately 10 miles and 5 miles away respectively. Carne Beach, owned by the National Trust, offers a wide expanse of clean sand and safe bathing and is about 2.3 miles away. The market town of St Austell and Cathedral City of Truro are about 10 miles away, Truro being the commercial and judicial centre for Cornwall. It also has a main line inter-city railway link, with branch services to the port of Falmouth.
CornwallThe Duchy of Cornwall offers a range of accessible attractions such as the Eden Project, the National Maritime Museum, the Lost Gardens of Heligan, and the Tate Gallery. The Cathedral City of Truro has a fine range of stores, private schools, college and the main hospital in the county (RCH Treliske). Both Falmouth University, Truro College and Cornwall Airport at Newquay are rapidly expanding.
Fine Dining RestaurantsFine dining Michelin star and celebrity chef restaurants are in abundance, including Rick Stein (Padstow), Nathan Outlaw (Port Isaac), Paul Ainsworth (Padstow and Rock). Rising stars on The Roseland Peninsula include Simon Stallard at The Hidden Hut on Porthcurnick Beach and The Standard Inn in Gerrans, Paul Wadham at Hotel Tresanton, St Mawes, Stuart Shaw at the Idle Rocks, St Mawes and Michael Golez at The Lugger Hotel in Portloe.

General Information
Services: Mains electricity nearby for connection, private drainage. Private water supply from Cruggan Farm.
Community Infrastructure Levy: Depending on individual circumstances, this is a charge levied under Cornwall's CIL Charging Schedule, collected upon commencement of the build. Enquiries should be made by applicants with the planning authority.
Relevant Planning Permission: PA36/1262/05/R.
Currently EPC and Council Tax exempt.
FTTC Broadband available: Openreach predicted max download speeds: Superfast 46 Mbps; Standard 24 Mbps.
Ofcom Mobile Area Coverage Rating: Good.
Land Registry Title Number: CL212768.
Tenure: Freehold.
Long-Term-Flood-Risks: River/Sea: Very Low Risk. Surface Water: Medium Risk
Viewing: Strictly by appointment with H Tiddy.

Important NoticeEvery effort has been made with these details but accuracy is not guaranteed and they are not to form part of a contract. Representation or warranty is not given in relation to this property. All negotiations must be with H Tiddy. Before proceeding to purchase, buyers should consider an independent check of all aspects of the property. Further information on mobile coverage and broadband availability is found on ofcom and openreach 'checker' websites. Visit the Gov.uk website for further information and to 'check long term flood risks'.
General Data Protection Regulations: We treat all data confidentially and with the utmost care and respect. If you do not wish your personal details to be used by us for any specific purpose, then you can unsubscribe or change your communication preferences and contact methods at any time by informing us either by email or in writing at our office in St Mawes

Important Information

  • This is a Freehold property.

Property Ref: 919_342454

Share:

Similar Properties

Veryan

2 Bedroom Detached Bungalow | Guide Price £399,950

Spacious two bedroom detached Bungalow tucked away in quiet cul de sac in beautiful village of Veryan. Gardens front and...

Frog Lane, Tregony, Truro, Cornwall, TR2

3 Bedroom Detached House | Guide Price £395,000

Well-presented 3 double bedroom cottage in Tregony with off-road parking and generous gardens. Dual-aspect living room w...

Portloe, Truro, Cornwall, TR2

2 Bedroom Cottage | Guide Price £395,000

A charming fisherman’s cottage in the heart of Portloe, just steps from the harbour, featuring a cosy living room with a...

Roseland Gardens, Veryan, Truro, Cornwall, TR2

2 Bedroom Detached Bungalow | Guide Price £425,000

Spacious two bedroom detached Bungalow tucked away in quiet cul de sac in beautiful village of Veryan. Gardens front and...

Trethewell, St Just in Roseland, nr St Mawes

3 Bedroom Detached House | £450,000

Charming, detached, traditional Cornish Cottage with paddock of circa 0.75 acres. Three bedrooms. Benefit some updating....

Treviskey, Nr Portloe, The Roseland

3 Bedroom Detached House | Guide Price £450,000

A detached family-sized 3 bedroom character Cottage, in need of modernisation, standing in a level generous plot with de...

H Tiddy (St Mawes)

St Mawes, Cornwall, TR2 5AG

01326 270212

How much is your home worth?

Use our short form to request a valuation of your property.

Request a Valuation

Mortgage Calculator

Amount Borrowed: £
Total Amount Repayable: £
Total Monthly Payment: £
©2025 The Guild of Property Professionals. All rights reserved. Terms and Conditions | Privacy Policy | Cookie Policy | Complaints Policy | Members Login
The Guild of Property Professionals Trading Address: 121 Park Lane, London W1K 7AG. GPEA Limited. Registered in England & Wales.  Company No: 02819824.  Registered Office Address: 2 St. Stephen's Court, St. Stephen's Road, Bournemouth, Dorset, England, BH2 6LA.  VAT Registration No: 576 8795 61
Book a Property Valuation Update Cookies Preferences