105 Acres and Agricultural Buildings, St Nicholas

Guide Price
£695,000
SSTC
This property listing is now SSTC

Land for sale in Goodwick

  • Situated within a ring fence, a valuable Block of Agricultural Land and Woodland extending to 105 Acres or thereabouts.
  • Standing on the edge of the hamlet of Rhos-y-Caerau and within 2 miles or so of the popular village of St Nicholas.
  • The Land comprises of 73 Acres of clean Pasture Land
  • Remaining 32 Acres or thereabouts is a mixture of Evergreen and Deciduous Woodland including 2 Spring Fed Ponds.
  • The perimeter boundary of the Land is Sheep Fenced and benefits from a Mains (metered) Water Supply.
  • Blocks of Agricultural Land and Woodland in North Pembrokeshire are few and far between and early inspection is advised.

* Guide Price �695,000 i.e. �6,600.00 Per Acre.

* Situated within a ring fence, a valuable Block of Agricultural Land and Woodland extending to 105 Acres or thereabouts which stands on the edge of the hamlet of Rhos-y-Caerau and within 2 miles or so of the popular village of St Nicholas.
* The Land comprises of 73 Acres of clean Pasture Land, whilst the remaining 32 Acres or thereabouts is a mixture of Evergreen and Deciduous Woodland including 2 Spring Fed Ponds.
* The perimeter boundary of the Land is Sheep Fenced and benefits from a Mains (metered) Water Supply.
* Blocks of Agricultural Land and Woodland in North Pembrokeshire are few and far between and early inspection is advised.
*Realistic Price Guide.
N.B Offers will be considered for the Land with a reduced acreage, with or without the Agricultural Buildings.

Situation - Caerau Farm stands within a short walk of the hamlet of Rhos-y-Caerau and is within 2 miles or so of the popular village of St Nicholas. St Nicholas being close by has the benefit of a Church and a Village/Community Hall.

The Town of Goodwick is within 2 ? miles or so and has the benefit of a few Shops, a General Store/Post Office, a Primary School, Chapel, Public Houses, Hotels, 2 Fish & Chip Shop Cafes/Take-Aways, a Petrol Filling Station/Store, a Cafe and a Supermarket. There are Churches at St Nicholas, Llanwnda and Manorowen which are all within 2 miles or so.

The well known Market Town of Fishguard is within 3 ? miles or so and has the benefit of a good Shopping Centre together with a wide range of amenities and facilities which briefly include Secondary and Primary Schools, Churches, Chapels, a Building Society, Public Houses, Restaurants, Hotels, Cafes, Take-Aways, Art Galleries, a Cinema/Theatre, a Petrol Filling Station/Store, a Post Office, Library and a Leisure Centre.

The Pembrokeshire Coastline at Abermawr is within 3 miles or so and also close by are the other well known sandy beaches and coves at Aberbach, Pwllcrochan, The Parrog, Abercastle, Aberfelin, Porthgain, Traeth Llyfn, Abereiddy and Whitesands Bay.

The County and Market Town of Haverfordwest is some 18 miles or so south and has the benefit of an excellent Shopping Centre together with an extensive range of amenities and facilities.

There are Livestock Markets at Whitland, Crymych and Carmarthen which are all within easy car driving distance.

The Land concerned is situated just outside The Pembrokeshire Coast National Park which is designated an area of Outstanding Natural Beauty and protected accordingly.

Caerau Farm is situated some 400 yards or so off the Goodwick to St Nicholas Council Road. The Land is accessed off a Single Track Council Roadway via a tarmacadamed road and hardsurfaced track.

Directions - From the Offices of Messrs J. J. Morris at 21 West Street turn left and proceed in the direction of Goodwick for half a mile. At the first roundabout take the second exit signposted to Goodwick and Fishguard Harbour. Continue on this road for 500 yards or so and upon reaching the roundabout adjacent to Tesco Express, take the second exit and proceed straight on up to Goodwick. Upon reaching the Rose and Crown Public House, turn left and continue up the hill in the direction of Strumble Head. Proceed around the hairpin bends and continue through Stop and Call. Follow the road 90� to the left in the direction of Strumble Head and continue on this road for approximately a third of a mile or so and take the turning on the left, signposted Rhos-y-Caerau. Continue on this road for a mile or so and take the turning on the right, signposted Rhos-y-Caerau. Proceed on this road for a hundred yards or so and follow the road to the left, signposted 'No Through Road'. Proceed on this road for 150 yards or so and follow the road to the left. Continue on this road passing Caerau Farm House on the left and 100 yards or so further on, the gateway to the Land is directly facing i.e. point 'B' on the Plan.

Description - The Land concerned extends to some 105 Acres or thereabouts and includes some 73 Acres or thereabouts of predominantly clean, level lying and gently sloping Pasture Land which is in the main sheep fenced. The remaining 32 Acres or thereabouts of Land comprises of Evergreen and mixed Deciduous Woodland which was planted approximately 30 years ago. In addition, there are 2 Spring Fed Ponds.

The Woodland comprises of O.S. No's SM 9137-3183 and SM 9138 - 2115.

The Land in the main, is Sheep Fenced and lies within a ring fence. The Land is either level lying or gently sloping with north easterly and north westerly aspects. The Land benefits from a Mains (metered) Water Supply.

Situated in O.S. No. SM 9137 - 7853 is a:-

Multipurpose Agricultural Building - 18.29m x 13.72m (60'0" x 45'0") - Of a steel portal frame construction with 6' high rendered concrete block walls with Yorkshire Board cladding under a corrugated cement fibre roof. It has a concreted floor and is open at one end and is accessed over a concreted apron on the northern side. Adjacent to this Building are:-

Cow Kennels - 18.29m x 13.72m (60'0" x 45'0") - (in a dilapidated state of repair) Of timber construction with a corrugated roof and concreted floor.

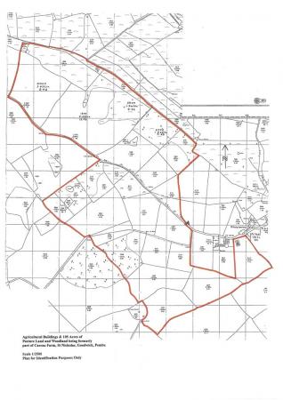
The boundaries of the 105 Acres or thereabouts of Pasture Land and Woodland at Caerau Farm is edged in red on the attached Plan to the Scale of 1/5000.

Services - Mains Water (metered supply) is connected to the Land.

Tenure - Freehold with Vacant Possession upon Completion.

Rights Of Ways - Agricultural Access Rights of Ways exist in favour of the Land over the hardsurfaced track off the Council Maintained District Road as far as point "A" on the Plan.

Footpath Right Of Way - Two Public Footpaths bisect the Land in a westerly direction from or around point 'A' on the Plan.

Remarks - Good sized blocks of Agricultural Land with Agricultural Buildings and Woodland within a ring fence, rarely appear on the Open Market and the opportunity to purchase should not be missed. Of the total Acreage, there is approximately 73 Acres or thereabouts of clean Pasture Land and 32 Acres or thereabouts of Evergreen and mixed Deciduous Woodland which was planted approximately 30 years ago. The Land benefits a Mains (metered) Water supply and also has 2 Spring Fed Ponds. The Land is situated on the Strumble Head Peninsula and is within 2 miles or so of the village of St Nicholas and within 2 ? miles or so by road of the town of Goodwick and the North Pembrokeshire Coastline at The Parrog, Goodwick. Superb Coastal Sea views over the North West Pembrokeshire Coastline in the direction of the St Davids Peninsula can be enjoyed from the Land as well as delightful Rural views to Garn Fawr and the surrounding Countryside. It is offered "For Sale" with a realistic Price Guide and early inspection is strongly advised.

Property Ref: 258964_33887081

Share:

Similar Properties

Pant-y-Crwyn, Letterston, Haverfordwest

6 Bedroom Character Property | Guide Price £695,000

Pant-y-Crwyn is a delightfully situated 17 Acre Residential/Equestrian Holding which stands in a private and idyllic loc...

West Street, Newport

4 Bedroom Country House | Guide Price £695,000

* An exceptional double fronted Terraced 3 storey Town House together with a stone built Cottage/Annexe which provides a...

Parc-y-Dinas, Dinas Cross, Newport

4 Bedroom Smallholding | Guide Price £695,000

*A Privately positioned 2 Acre Residential Holding which stands on Dinas Mountain from where superb uninterrupted Coasta...

Bryn Ioan, Brynhenllan, Dinas Cross, Newport

4 Bedroom Detached House | Guide Price £725,000

* Under Construction at present, an attractive Detached character 2 storey Modern Residence which stands within half a m...

Coedrwm, Cefn Road, Dwrbach (nr Scleddau), Fishguard

4 Bedroom Smallholding | Guide Price £765,000

*A delightfully situated 18 Acre Residential/Equestrian Holding.*Well appointed Detached Farmhouse/Cottage with 2/3 Rece...

Plas Preseli, Brynberian, Crymych

3 Bedroom Not Specified | Guide Price £785,000

*A privately located 15 Acre Residential Smallholding which benefits from delightful rural views to the Preseli Hills. *...

JJ Morris (Fishguard)

21 West Street, Fishguard, SA65 9AL

01348 873836

How much is your home worth?

Use our short form to request a valuation of your property.

Request a Valuation

Mortgage Calculator

Amount Borrowed: £
Total Amount Repayable: £
Total Monthly Payment: £
©2026 The Guild of Property Professionals. All rights reserved. Terms and Conditions | Privacy Policy | Cookie Policy | Complaints Policy | Members Login
The Guild of Property Professionals Trading Address: 121 Park Lane, London W1K 7AG. GPEA Limited. Registered in England & Wales.  Company No: 02819824.  Registered Office Address: 2 St. Stephen's Court, St. Stephen's Road, Bournemouth, Dorset, England, BH2 6LA.  VAT Registration No: 576 8795 61
Book a Property Valuation Update Cookies Preferences