Quality Street,, Newport On Tay, DD6

Guide Price
£10,000
SSTC
This property listing is now SSTC

Land for sale in Newport On Tay

  • Building Plot
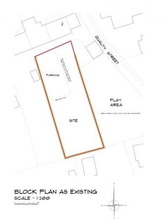
  • Approx 780Sqm
  • Planning Permission Granted
  • Expires March 2023
  • Plans for 2 Storey Detached House
  • Gauldry, Newport-on-Tay
  • Average House Price £238,000
  • Ref- 17/00891/FUL
  • Auction Date - 1st February 2023

Residential building plot with planning permission for detached house.

Within a residential setting in the quiet village of Gauldry this approx. 780Sqm plot has planning permission for a detached house. The planning is available to view via Fife planning portal with ref 17/00891/FUL. Extended to March 2023, this planning has been granted for a detached two storey two-bedroom house with double parking space and gardens. With an average property price of £238,000 in the area this plot provides a fantastic opportunity for return on investment or to build your own dream home.

Gauldry is a village in Fife around 2 miles Southwest of Newport-on-Tay. The village is home to a primary school, community hall and pop up post office. Investment into the area is evident by Passivhaus homes development of 30 houses, scheduled to complete in June 2023. A fantastic range of shops, amenities, schooling and transport links can be found within short distance in Newport-on-Tay and the city of Dundee.

For further information please contact The Wilsons Auctions Property Department.

Property Ref: WAD220268

Share:

Similar Properties

Greenrigg Road, Cumbernauld, G67

2 Bedroom Flat | Guide Price £10,000

Affordable starter flat in Cumbernauld with rental potential of £400PCM. Located on the second floor this flat enters in...

Caledonia Road, Ardrossan, North Ayrshire, KA22

1 Bedroom Flat | Guide Price £10,000

We are delighted to bring to auction this one bedroom first floor apartment located above a commercial pub Just off of t...

Kingscroft Road, Banstead, SM7

House | Guide Price £10,000

This plot of land is registered under a freehold title and covers 0.149 Acres. Located just off of Kingcroft Road, Banst...

Sandridgebury Lane, Sandridge, St. Albans, Hertfordshire,, AL3

House | Guide Price £12,000

Located in the picturesque village of Sandridge, in the heart of Hertfordshire, situated less than thirty minutes from L...

Moorburn Road, Largs, North Ayrshire, KA30

1 Bedroom Flat | Guide Price £12,500

This lucrative second floor apartment is situated within a terraced, three storey apartment block within the thriving Ay...

Darnley Road, Barrhead, G78

House | Guide Price £15,000

This plot is approx. 2.9 acres of unused woodland backing on to the highly desirable Montfort estate. The land has fanta...

Wilsons Auctions Dalry (Dalry)

Dalry, Ayrshire, KA24 4LG

01294 833444

How much is your home worth?

Use our short form to request a valuation of your property.

Request a Valuation

Mortgage Calculator

Amount Borrowed: £
Total Amount Repayable: £
Total Monthly Payment: £
©2026 The Guild of Property Professionals. All rights reserved. Terms and Conditions | Privacy Policy | Cookie Policy | Complaints Policy | Members Login
The Guild of Property Professionals Trading Address: 121 Park Lane, London W1K 7AG. GPEA Limited. Registered in England & Wales.  Company No: 02819824.  Registered Office Address: 2 St. Stephen's Court, St. Stephen's Road, Bournemouth, Dorset, England, BH2 6LA.  VAT Registration No: 576 8795 61
Book a Property Valuation Update Cookies Preferences