Llanwnog, Caersws, Powys, SY17

Guide Price
£399,950
SSTC
This property listing is now SSTC

3 Bedroom Detached House for sale in Powys

2 3 1
  • Detached 3 Bedroom Cottage
  • With around 2.35 acres of Land
  • In attractive countryside setting
  • 1.5 miles from well serviced village of Caersws
  • Lounge, Snug, Kitchen/Dining
  • 3 Bedrooms, Bathroom
  • Ample Parking, Range of Outbuildings
  • Front & Side Gardens
  • Pastureland with natural water supply
  • EPC - F (27) Exp 18.04.2034

A charming 3 Bedroom Country Cottage situated in the beautiful Mid Wales countryside around 1.5 miles from the village of Caersws which has a good range of amenities including a health centre, variety of shops and a train station.
Inside, the dwelling which has a wealth of character features provides comfortable living accommodation which includes two Reception Rooms, Kitchen/Dining, 3 Bedrooms and a Bathroom.
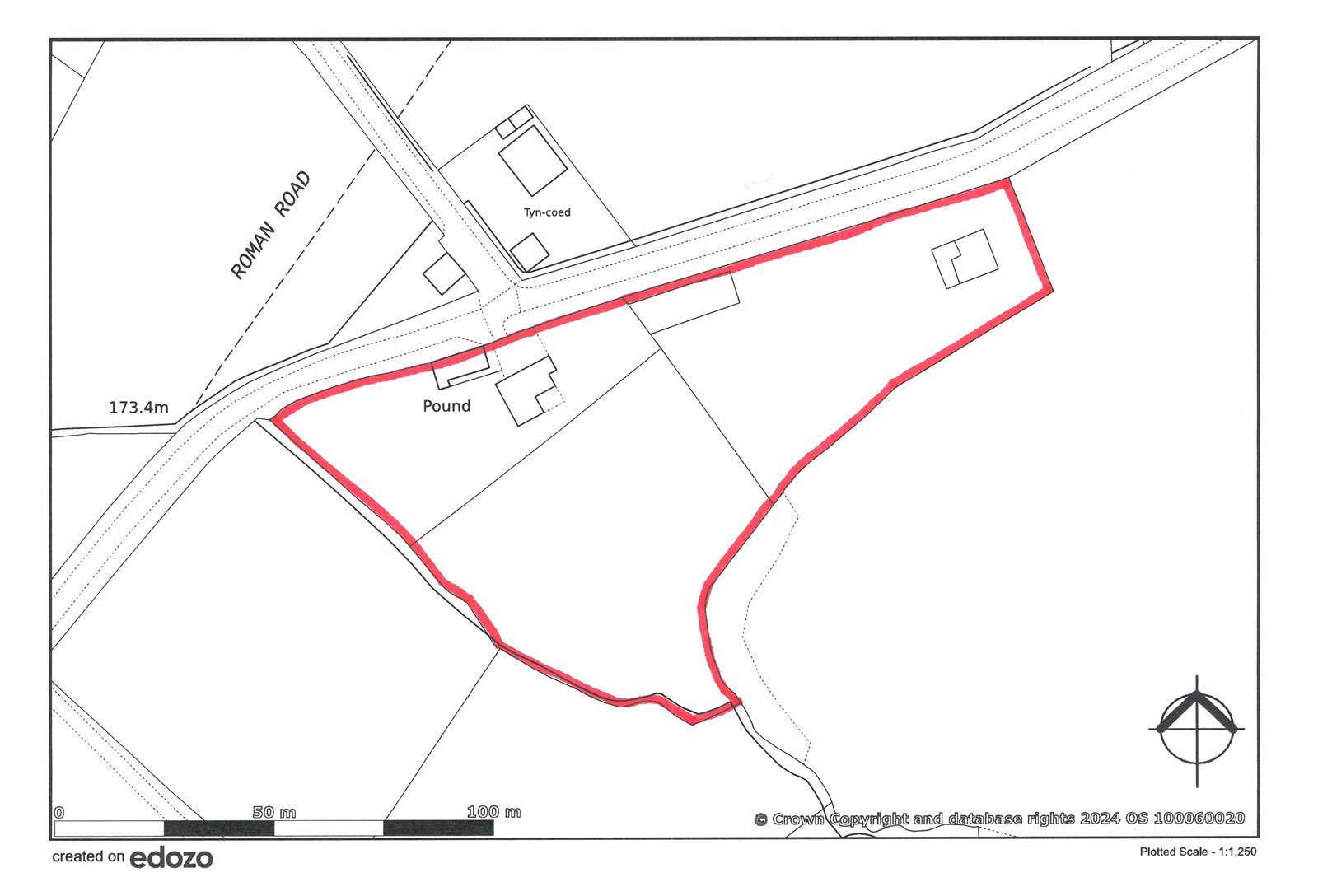
The cottage occupies grounds extending to around 2.35 acres which comprise various garden areas, a parking area and pastureland split into field enclosures which are served by natural water sources.

The accommodation which has oil fired central heating throughout comprises:
Ground Floor:
Entrance Area with plumbing for washing machine open through to
Kitchen/Dining comprising range of fitted units, inset porcelain sink, oil fired Stanley range which runs central heating, quarry tiled floor, glazed double doors to front garden.
Hallway with beamed ceiling, staircase to first floor, built-in understairs cupboard.
Snug with beamed ceiling, window to front.
Lounge with log burner, beamed ceiling, window to front, front entrance door.

First Floor:
Landing leading to
Bedroom (1) with window to front.
Bedroom (3) with window to front.
Steps up to Secondary Landing with built-in cupboard housing hot water cylinder and leading to Bedroom (2) with built-in wardrobe, airing cupboard, loft access hatch, window to side.
Bathroom comprising bath, washbasin, WC, part tiled walls, heated towel rail, laminate flooring.

The property is approached through a gated entrance which leads to a tarmacadam parking area. Pathway leading to front and side gardens with seating area. Side grassed area, vegetable garden and pastureland split into two enclosures with natural water source. Range of Outbuildings with power and light comprising Garage, Workshop and Store Shed.
In all the grounds extend to around 2.35 acres.

Please note a charge of £36 per person will be applied to cover mandatory Anti-Money Laundering checks for Buyers

Important Information

  • This is a Freehold property.

Property Ref: 78564951_NEW240131

Share:

Similar Properties

New Mills, Newtown, Powys, SY16

Detached House | Guide Price £399,950

Rural Cottage retaining character with the benefit of Full Planning Permission on the Adjoining Barn to provide a 3 Bedr...

Kerry, Newtown, Powys, SY16

4 Bedroom Detached House | Guide Price £395,000

Well known Village Public House & Restaurant. Spacious Owners Accommodation over. In good decorative order. Main Bar, Lo...

Kerry, Newtown, Powys, SY16

Commercial Property | Guide Price £395,000

Well known Village Public House & Restaurant. Spacious Owners Accommodation over. In good decorative order. Main Bar, Lo...

Wynnstay Arms Hotel, Llanbrynmair, Powys, SY19

Commercial Property | Offers Over £410,000

Rare opportunity to acquire a 16th Century Grade II Listed Public House & Inn which is in a perfectly located on the A47...

Old Kerry Road, Newtown, Powys, SY16

4 Bedroom Semi-Detached House | Guide Price £425,000

VIDEO TOUR. Grade II Listed Former Rectory occupying spacious level plot within the market town of Newtown. Shrewsbury 3...

Bettws Cedewain, Newtown, Powys, SY16

3 Bedroom Detached House | Guide Price £425,000

VIDEO TOUR. Detached 3 Bedroom Dormer Bungalow situated in grounds of around 1.47 acres on edge of village of Bettws Ced...

Morris Marshall & Poole (Newtown)

10 Broad Street, Newtown, Powys, SY16 2LZ

01686 626160

How much is your home worth?

Use our short form to request a valuation of your property.

Request a Valuation

Mortgage Calculator

Amount Borrowed: £
Total Amount Repayable: £
Total Monthly Payment: £
©2025 The Guild of Property Professionals. All rights reserved. Terms and Conditions | Privacy Policy | Cookie Policy | Complaints Policy | Members Login
The Guild of Property Professionals Trading Address: 121 Park Lane, London W1K 7AG. GPEA Limited. Registered in England & Wales.  Company No: 02819824.  Registered Office Address: 2 St. Stephen's Court, St. Stephen's Road, Bournemouth, Dorset, England, BH2 6LA.  VAT Registration No: 576 8795 61
Book a Property Valuation Update Cookies Preferences