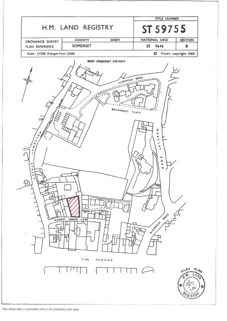
Market House Lane, Minehead

Guide Price
£265,000
SSTC
This property listing is now SSTC

Light Industrial for sale in Somerset

Development Opportunity – For Sale

A substantial stone and brick built former industrial unit positioned just off the town centre, offering an excellent redevelopment opportunity. The property extends to approximately 438 sqm (4,715 sqft) and occupies a prominent and accessible site, making it suitable for a wide range of alternative uses, subject to the necessary consents.

Notably, the property previously benefited from full planning permission (granted August 2020) for the demolition of the existing building and the construction of 7 residential apartments together with approximately 164 sq m of ground floor retail / café / office accommodation. While this consent has now lapsed, it clearly demonstrates the site’s strong development potential and the local authority’s previous support for a mixed-use scheme.

The existing building is accessed via large sliding industrial doors, with an additional double-glazed pedestrian entrance. Internally, the ground floor provides a predominantly open-plan workshop area (formerly used as a laundry), incorporating a lobby area, two offices and WC facilities. To the rear of the property, an internal staircase leads to a first-floor storage area of appromimately 86.95 sqm (936 sqft) which also benefits from a separate external pedestrian access.

Given its town-centre fringe location, scale, and previous planning history, the property is considered well suited for residential, mixed-use or alternative redevelopment, subject to planning, or for refurbishment and reuse for a variety of commercial or light industrial purposes.

LEGAL ADVICE

We strongly recommend that a buyer takes independent legal advice and instructs solicitors to act on their behalf.

PLANNING

It is the responsibility of the proposed buyer to satisfy for themselves independently that their intended use complies with existing planning permission by contacting the local council planning department. The cost of any change of planning use is the buyer’s responsibility.

BUSINESS RATES

At present £22,250 rising to £25,000 UBR, as of April 2026, 47.9p in the £.

Our Rateable Value figure has been obtained from the Business Valuation website at the time of the property detail going to print, however, we would advise all applicants make their own enquiries via the Valuation Office or website regarding this figure.

VAT

We understand that our client has not opted to charge VAT. All interested parties should make their own enquiries of HMRC.

VIEWING

Strictly by appointment through the selling agents.

Important Information

  • This is a Freehold property.

Property Ref: BAR260093

Share:

Similar Properties

High Street, Porlock

3 Bedroom Flat | Guide Price £265,000

An impressive self-contained three bedroom, three bathroom maisonette situated in the heart of this highly regarded Exmo...

Market House Lane, Minehead

Plot | Guide Price £265,000

Development OpportunityA substantial stone and brick built former industrial unit positioned just off the town centre, o...

West Street, Minehead

2 Bedroom Terraced Bungalow | Asking Price £265,000

Situated in an elevated and sought-after residential area, this well-presented two-bedroom semi-detached bungalow enjoys...

West Street, Watchet

3 Bedroom Terraced House | Asking Price £270,000

A superb modern coastal home situated on the edge of the town enjoying wonderful sea views and with 3 bedroom en-suite a...

Quay Street, Minehead

2 Bedroom Terraced House | Asking Price £275,000

A charming Grade ll listed double fronted harbourside cottage enjoying wonderful coastal views and with renovated 2 bedr...

Cherfield, Minehead

2 Bedroom Semi-Detached Bungalow | Guide Price £275,000

With wonderful coastal views this beautifully presented, gas centrally heated and double glazed 2 bedroom semi-detached...

Webbers Minehead (Minehead)

Minehead, Somerset, TA24 5UW

01643 706917

How much is your home worth?

Use our short form to request a valuation of your property.

Request a Valuation

Mortgage Calculator

Amount Borrowed: £
Total Amount Repayable: £
Total Monthly Payment: £
©2026 The Guild of Property Professionals. All rights reserved. Terms and Conditions | Privacy Policy | Cookie Policy | Complaints Policy | Members Login
The Guild of Property Professionals Trading Address: 121 Park Lane, London W1K 7AG. GPEA Limited. Registered in England & Wales.  Company No: 02819824.  Registered Office Address: 2 St. Stephen's Court, St. Stephen's Road, Bournemouth, Dorset, England, BH2 6LA.  VAT Registration No: 576 8795 61
Book a Property Valuation Update Cookies Preferences