High Street, Keynsham, Bristol

£45,000pa
Let Agreed
This property listing is now Let Agreed

Commercial Property for rent in Bristol

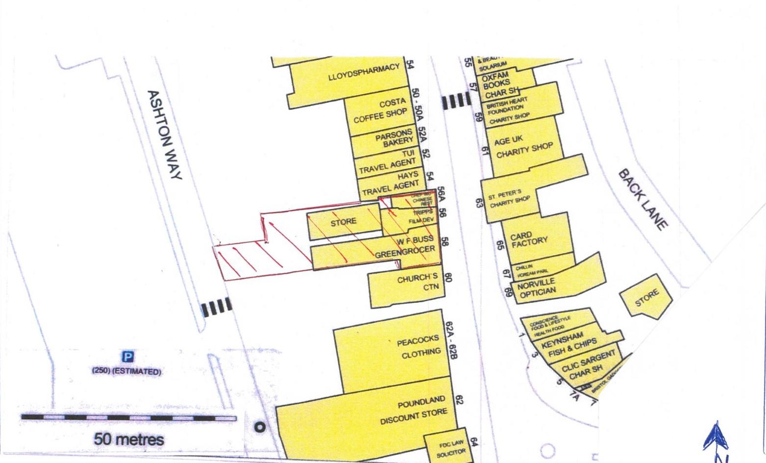
LOCATION: Keynsham is an expanding Town with a population of circa 16,000 strategically placed between the Cities of Bristol and Bath. The property is in a prime location, with the Ashton Way carpark directly behind. Poundland, Peacocks, Costa Coffee, Tui and Hays Travel closeby.

ACCOMMODATION: The accommodation is arranged as retail on the ground floor (Class E) with storage behind on two levels.

NET FRONTAGE 8.53m 30ft
RETAIL DEPTH 15.64m 51ft
STORE ONE 91.3sq m 982 sq ft
STORE TWO 67.3sq m 724 sq ft
KITCHEN 6.0sq m 65 sq ft
TOILET
1st FLOOR STORE WITH LOADING BAY 94.38sq m 1015sq ft
OUTSIDE LOADING AND PARKING AREA

TERMS: Available on a new lease on terms to be agreed.

RENT: �45,000 per annum exclusive

LEGAL COSTS: Each party to be responsible for its own legal and all other professional costs incurred in the transaction.

RATES: Rateable value - �52,000

VIEWING: Strictly by appointment with Davies and Way - 0117 9868300

EPC: This property current energy rating is C

Property Ref: 589941_33229129

Share:

Similar Properties

Kingsfield Lane, Longwell Green, Bristol

Commercial Property | £8,292pcm

Class E Offices/Industrial/Warehouse/DistributionLocation: Adjacent to A4174 Avon Ring Road with access from Aldermoor W...

Bath Road, Saltford, Bristol

4 Bedroom Detached House | £4,000pcm

Nestled on the desirable Bath Road in Saltford, Bristol, this impressive four-bedroom detached house offers a perfect bl...

26 Berkeley Gardens, Keynsham, Bristol

4 Bedroom End of Terrace House | £1,650pcm

Welcome to 26 Berkeley Gardens, a delightful four-bedroom end terrace home nestled in the charming town of Keynsham, Bri...

Bath Road, Keynsham, Bristol

1 Bedroom Retirement Property | £100,000

Homeavon House is a popular complex of apartments that boasts a central town location within close proximity to an array...

Bath Road, Keynsham, Bristol

1 Bedroom Retirement Property | £100,000

This well appointed top floor apartment offers an ideal opportunity for those seeking a comfortable and secure retiremen...

Bath Road, Keynsham, Bristol

1 Bedroom Retirement Property | £105,000

This first floor south west facing apartment presents an excellent opportunity to reside in a well-regarded apartment co...

Davies & Way (Keynsham)

1 High Street, Keynsham, Bristol, BS31 1DP

0117 9863681

How much is your home worth?

Use our short form to request a valuation of your property.

Request a Valuation
©2026 The Guild of Property Professionals. All rights reserved. Terms and Conditions | Privacy Policy | Cookie Policy | Complaints Policy | Members Login
The Guild of Property Professionals Trading Address: 121 Park Lane, London W1K 7AG. GPEA Limited. Registered in England & Wales.  Company No: 02819824.  Registered Office Address: 2 St. Stephen's Court, St. Stephen's Road, Bournemouth, Dorset, England, BH2 6LA.  VAT Registration No: 576 8795 61
Book a Property Valuation Update Cookies Preferences