Land at rear of 38 Fishpond Lane (off Farrow Avenue), PE12 7DE

£250,000

Residential Development for sale in (accessed Via Farrow Avenue)

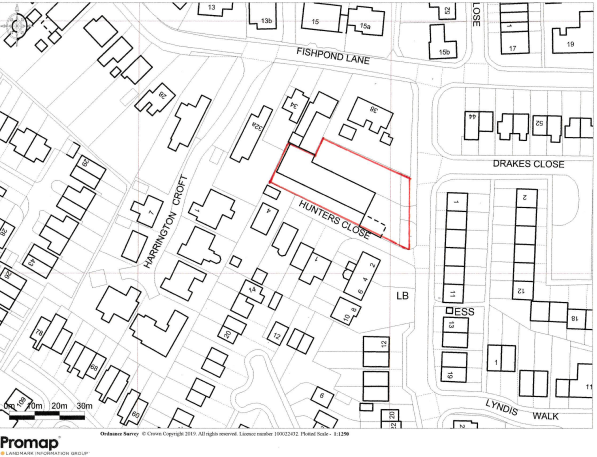
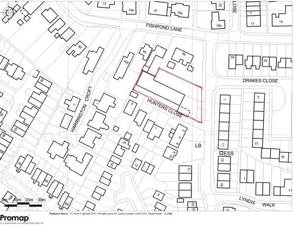
LOCATION
The site lies at the rear of 38 Fishpond Lane and has an existing access off Farrow Avenue, Holbeach. It is therefore within walking distance of Holbeach town centre and all the amenities which this Market town has to offer.

DESCRIPTION
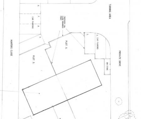
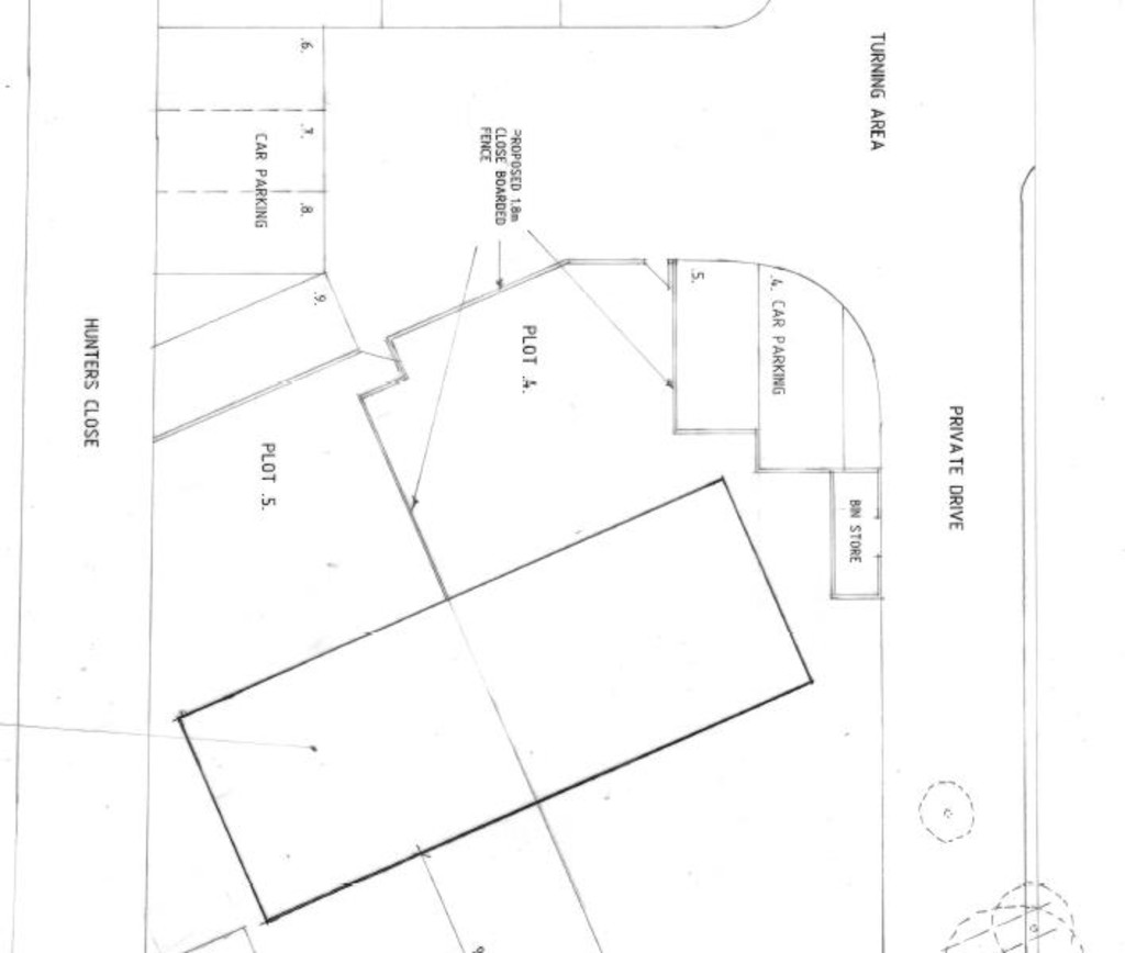
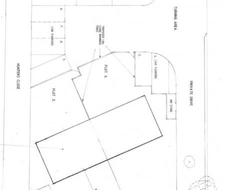
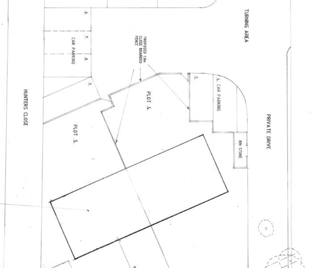
The land extends to approximately 1,351m² (0.33 acres). Access to the plot is proposed to come from Farrow Avenue. The plot is broadly rectangular in shape and has a frontage to Farrow Avenue of approximately 28m, and has an average depth of 55m.

The determined Outline Planning Consent is granted for 5 no. properties off a private drive, and indicatively is shown to comprise 3 x 3 Bedroom terrace houses at the rear and 2 x 3 bedroom semi-detached houses at the front of the site. The original buildings on site have now been demolished. The terrace houses are designed in a ‘Dorma’ style.

There is an Internal Drainage Board byelaw/easement running across the front of the site (9m), which restricts any development in this area, or planting.

The Registered Title number of the site is LL305652, and the property has a Restrictive covenant preventing the development of unsightly structures (to ensure only conventional dwellings i.e not Temporary or Commercial properties).

SERVICES
Electricity has been disconnected, but a water standpipe is still in existence on the site. All mains services are believed to exist in Farrow Avenue, however prospective purchasers should make their own enquiries to establish the suitability and costs of connections.

LEGAL COSTS
Each party to bear their own legal costs.

PLANNING
Outline Planning Consent with All Matters Reserved, was granted by South Holland District Council - Reference No: H09-0913-22 on 10th October 2023. A copy of the formal Planning Consent is available from the Council’s website - www.sholland.gov.uk – or is available from the Agent’s Spalding Office. Included in these Particulars is a copy of the plans determined by the Planning Application. The purchaser will be responsible for all costs in obtaining Reserved matters, and condition compliances consents, and for further studies required, which include contamination and drainage.

This planning consent was granted prior to the introduction of the new Biodiversity measures policy, and therefore there is only has a requirement to make ‘simple’ measures, and one swift brick is also to be added per dwelling.


VIEWING
By appointment only

Property Ref: 58325_101505031198

Share:

Similar Properties

Old Main Road, Fosdyke, PE20 2BU

Land | Guide Price £250,000

** Located close to the centre of Fosdyke village in an established residential area - 4 plots – with Outline, Reserved...

Land with Full PP for 2 dwellings, Adj. 51 The Poplars, PE11 2RJ

Land | Guide Price £250,000

** Situated on Cowbit Road – Land within an established residential area overlooking the River Welland, a short distance...

Fishpond Lane, Holbeach, Spalding

Land | £250,000

• Residential Development Land situated with access shown off Farrow Avenue• Area extends to approximately 1,351m2 (0.33...

Fishpond Lane, Holbeach

4 Bedroom Detached Bungalow | £253,000

Detached bungalow offering a unique layout, boasting 2 reception rooms and 4 bedrooms, and 2 bathrooms. With parking spa...

Balmoral Avenue, Spalding

2 Bedroom Detached Bungalow | £258,700

Superbly presented 2 bedroom detached bungalow. Completely refurbished, rewired and replumbed including new central heat...

Siltside, Gosberton Risegate

2 Bedroom Detached Bungalow | £259,950

Superbly presented two bedroom detached bungalow situated in semi-rural location with accommodation comprising of entran...

Longstaff (Spalding)

5 New Road, Spalding, Lincolnshire, PE11 1BS

01775 766766

How much is your home worth?

Use our short form to request a valuation of your property.

Request a Valuation

Mortgage Calculator

Amount Borrowed: £
Total Amount Repayable: £
Total Monthly Payment: £
©2025 The Guild of Property Professionals. All rights reserved. Terms and Conditions | Privacy Policy | Cookie Policy | Complaints Policy | Members Login
The Guild of Property Professionals Trading Address: 121 Park Lane, London W1K 7AG. GPEA Limited. Registered in England & Wales.  Company No: 02819824.  Registered Office Address: 2 St. Stephen's Court, St. Stephen's Road, Bournemouth, Dorset, England, BH2 6LA.  VAT Registration No: 576 8795 61
Book a Property Valuation Update Cookies Preferences