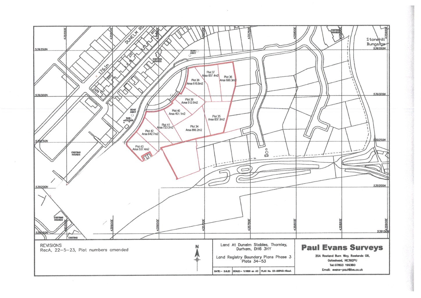
Plot 40, Dunelm Stables, Thornley, Durham, DH6 3BN

£135,000

Plot for sale in Durham

  • PHASE 3 RELEASED
  • 10 BUILDING PLOTS
  • PLANNING FOR DETACHED DWELLING
  • 461 sqm
  • SEMI RURAL SETTING
  • FULLY SERVICED AND READY TO BUILD

We are pleased to announce the long – awaited release of thethird phase of this truly outstanding ‘self build’ development following the greatsuccess of phases 1 and 2.
This release consists of 10 plots, each of generous proportionsand ready to accept a detached residence of individual design and style. Eachplot has outline planning permission for a detached property. Plot sizes rangefrom 460 sqm to 940 sqm with prices adjusted to suit all budgets. Dunelm Stables has matured into one of the premier residentialdevelopments in the area. It occupies a fine semi – rural position with rollingcountryside in close proximity combined with ease of access to Durham City (7miles approx.), Peterlee (8 miles approx) as well as the A19 and A1 interchanges.

TENURE, We are advised that all plots are Freehold.
SERVICE, All services are to be laid to each plot. Theroads, footpaths, drains and streetlights are to be adopted by the localauthority upon completion of the full scheme.
SERVICES, Each plot requires a payment of £5000 for electricity, water connections and fibre, which includes all materials and labour.
ESTATE CHARGE, Each plot buyer will be required tocontribute to the upkeep of the trees and grassed areas on site. Exact costingsare not yet available but are likely to be in the region of £500 - £600 peryear per plot.
PLANNING, Outline planning permission has been granted byDurham County Council for the erection of a detached dwelling on each plot. Plotbuyers will be responsible for securing detailed planning permission andbuilding regulation approval for their chosen plot. RESERVATIONS, A non-refundable reservation fee of £2000 willbe payable on each plot, reserving the site for a period of 20 weeks to allowbuyers to obtain planning permission prior to legal completion. Reservationswill only be accepted from those who are in a position to proceed (ie with cashor mortgage for land acquisition prior to the sale of their existing property) PLEASE NOTE, The stated plot sizes are approximateand based on the information supplied by the vendors engineers. Actual plotsizes/boundaries may vary slightly. Plot purchases will be given theopportunity to view their chosen plot and confirm acceptance prior to exchangeof contracts.

Important Information

  • This is a Freehold property.

Property Ref: 242832

Share:

Similar Properties

Stoneleigh Close, Houghton le Spring, Tyne and Wear, DH4 5LS

3 Bedroom Semi-Detached House | Offers Over £130,000

Discover this inviting three-bedroom semi-detached house in Houghton le Spring, offering spacious living, modern refinem...

Sunderland Street, Houghton Le Spring, Tyne And Wear, DH5 8BE

2 Bedroom Terraced House | Offers Over £130,000

Discover this spacious two-bedroom mid-terraced house in Houghton Le Spring, featuring two reception rooms, a multi-fuel...

Blossom Street, Hetton-le-hole, Houghton Le Spring, Tyne And Wear, DH5 9GE

2 Bedroom Semi-Detached House | Offers Over £130,000

Discover this modern two-bedroom semi-detached house in Hetton-le-Hole, Tyne and Wear. Boasting a generous corner plot,...

John Street, Houghton le Spring, Tyne and Wear, DH5 8DX

3 Bedroom Semi-Detached House | £139,950

Discover this larger style, ex-police semi-detached house in Houghton le Spring, offering three spacious bedrooms, a fit...

Ruislip Road, Sunderland, Tyne and Wear, SR4 0ND

2 Bedroom Detached Bungalow | Offers Over £139,950

Discover this spacious two-bedroom detached bungalow in Sunderland, featuring a modern kitchen, sun room, and gardens, o...

St. Aidans Terrace, Houghton le Spring, Tyne and Wear, DH4 4LZ

2 Bedroom Semi-Detached House | £139,950

Discover this charming two-bedroom semi-detached house in Houghton le Spring, offering spacious living, open field views...

Kimmitt & Roberts Estate Agents (Houghton Le Spring)

1 Church Street, Houghton Le Spring, Tyne & Wear, DH4 4DJ

0191 5848080

How much is your home worth?

Use our short form to request a valuation of your property.

Request a Valuation

Mortgage Calculator

Amount Borrowed: £
Total Amount Repayable: £
Total Monthly Payment: £
©2026 The Guild of Property Professionals. All rights reserved. Terms and Conditions | Privacy Policy | Cookie Policy | Complaints Policy | Members Login
The Guild of Property Professionals Trading Address: 121 Park Lane, London W1K 7AG. GPEA Limited. Registered in England & Wales.  Company No: 02819824.  Registered Office Address: 2 St. Stephen's Court, St. Stephen's Road, Bournemouth, Dorset, England, BH2 6LA.  VAT Registration No: 576 8795 61
Book a Property Valuation Update Cookies Preferences