Lanvean, St Mawgan

£545,000

2 Bedroom Semi-Detached Bungalow for sale in Newquay

1 2 2
  • RARE CHANCE TO BUY A COUNTRY COTTAGE WITH 2 ACRES OF LAND
  • TWO DOUBLE EN-SUITE BEDROOMS WITH FLEXIBLE ACCOMMODATION
  • SPACIOUS OPEN PLAN LIVING, DINING, AND KITCHEN AREA
  • SOUTH-WEST FACING GARDENS WITH VILLAGE AND COUNTRYSIDE VIEWS
  • PRIVATE OFF-STREET PARKING AND ADDITIONAL LAYBY
  • APPROXIMATELY TWO ACRES OF VERSATILE, ELEVATED LAND
  • RARE COMBINATION OF PRIVACY, SPACE, AND CORNISH VILLAGE LIFESTYLE
  • SHORT WALK TO VILLAGE AMENITIES AND COASTAL BEACHES
  • NO ONWARD CHAIN

A RARE AND HIGHLY DESIRABLE OPPORTUNITY TO ACQUIRE BOTH A BEAUTIFULLY PRESENTED NATURAL STONE COTTAGE-STYLE BUNGALOW AND A SUBSTANTIAL PARCEL OF VERSATILE LAND IN THE HEART OF THE CHARMING VILLAGE OF ST MAWGAN. OFFERING THE PERFECT COMBINATION OF COMFORTABLE, MODERN LIVING AND EXTENSIVE OUTDOOR SPACE, THIS PROPERTY EMBODIES THE QUINTESSENTIAL CORNISH LIFESTYLE.

The Bungalow – “Sampson”

Tucked away in a peaceful village location, Sampson is a stunning stone-built bungalow enjoying breathtaking south-west facing views over the village and surrounding countryside. The home features a light and airy open plan living, dining, and kitchen area with vaulted ceilings and a skylight that floods the space with natural light. The kitchen is well-equipped with modern fitted units, an inset oven and hob, and integrated appliances including fridge/freezer and dishwasher, with space for a table for casual dining.

Accommodation comprises two generous double bedrooms, each with an en-suite bathroom. One bedroom enjoys a tranquil outlook, while the second is accompanied by an adjoining study or nursery, offering potential for a small third bedroom, home office, or cosy snug.

Outside, the bungalow benefits from beautifully maintained gardens laid mainly to lawn, a spacious patio, and mature planting framing the stunning views. Private off-street parking is provided, with additional designated spaces across the lane.

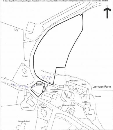
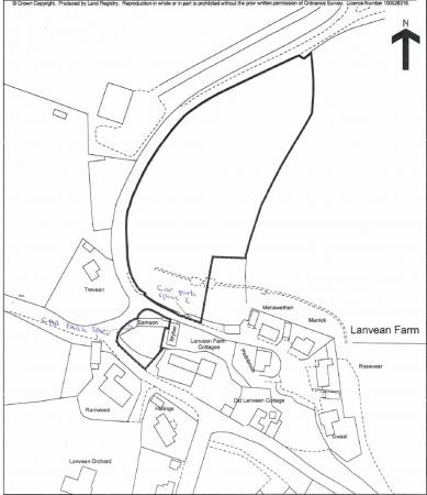
The Land – Lanvean

Adjacent to the property, the sale includes approximately two acres of highly useable land, approached via its own private gated access and hardcore track. Positioned in an elevated spot, the land enjoys south-facing, far-reaching views across St Mawgan. Predominantly laid to grass with a gentle slope, it is bounded by the village road on one side and a well-defined hedge on the other. Features include remnants of a timber structure, a small, netted area formerly used for fruit cultivation, and a tarmacked layby for additional parking.

While residential planning has been refused in the past, the land offers excellent potential for light agricultural, equestrian, allotment, recreational use, or simply as a fantastic outdoor space for family activities.

Location

Both the bungalow and land enjoy an elevated position within easy walking distance of the village centre, local amenities, pub, shop, primary school, and community events. The beautiful coastal shores of Mawgan Porth are just over a mile away, while Newquay Airport offers convenient access to London and other destinations.

Summary

Sampson, combined with the Lanvean land, presents a unique and versatile opportunity for anyone seeking stylish, peaceful village living with the freedom of extensive private grounds.

FIND ME USING WHAT3WORDS: COPY SAMPSON

Energy Efficiency Current: 46.0
Energy Efficiency Potential: 80.0

Important Information

  • This is a Freehold property.
  • This Council Tax band for this property is: C

Property Ref: 81d5cf09-b62c-4039-8d6d-7d2c49c5f56b

Share:

Similar Properties

Henver Road, Newquay

6 Bedroom Detached House | £535,000

A VAST FIVE BEDROOM DETACHED DORMER BUNGALOW WITH INCREDIBLY FLEXIBLE ACCOMODATION INCLUDING DETACHED GARDEN CHALET. BEA...

West Road, Quintrell Downs

5 Bedroom Detached House | £525,000

A BEAUTIFULLY PRESENTED FULLY DETACHED FAMILY HOME OFFERING FIVE GENEROUS DOUBLE BEDROOMS, TWO ELEGANT RECEPTION ROOMS,...

Union Hill, St. Columb, TR9

4 Bedroom Not Specified | £500,000

HUGE PARCEL OF LAND EXTENDING TO OVER 1.5 ACRES, CONSISTING OF THREE FULLY CONSENTED BUILDING PLOTS WITH FURTHER POTENTI...

Penmere Drive, Pentire

4 Bedroom Detached House | £550,000

METICULOUSLY REFURBISHED, EXECUTIVE 4-BED HOME IN QUIET CUL-DE-SAC NEAR GANNEL ESTUARY, FEATURING LANDSCAPED GARDEN, LUX...

Gummows Shop, Newquay

4 Bedroom Detached House | £560,000

A STRIKING MODERN FAMILY HOME IN A PEACEFUL SEMI-RURAL HAMLET JUST OUTSIDE NEWQUAY. BEAUTIFULLY DESIGNED AND EXTENDED, F...

Challis Avenue, St Mawgan, Newquay

6 Bedroom Detached House | £599,950

ABSOLUTELY STUNNING DETACHED FAMILY HOME ON ARGUABLY THE BEST PLOT ON THE STREET. EXTENSIVELY IMPROVED AND EXTENDED, OFF...

Newquay Property Centre (Newquay)

14 East Street, Newquay, Cornwall, TR7 1BH

01637875161

How much is your home worth?

Use our short form to request a valuation of your property.

Request a Valuation

Mortgage Calculator

Amount Borrowed: £
Total Amount Repayable: £
Total Monthly Payment: £
©2025 The Guild of Property Professionals. All rights reserved. Terms and Conditions | Privacy Policy | Cookie Policy | Complaints Policy | Members Login
The Guild of Property Professionals Trading Address: 121 Park Lane, London W1K 7AG. GPEA Limited. Registered in England & Wales.  Company No: 02819824.  Registered Office Address: 2 St. Stephen's Court, St. Stephen's Road, Bournemouth, Dorset, England, BH2 6LA.  VAT Registration No: 576 8795 61
Book a Property Valuation Update Cookies Preferences