The Meadows, St Teath PL30

£137,500
SSTC
This property listing is now SSTC

3 Bedroom Plot for sale in St Teath

1 3 2
  • Great Opportunity
  • Mains Water, Electricity and Drainage on the Plot
  • No CIL (Community Infrastructure Levy) Payment
  • Planning for 3 Bedroom Detached House with Parking
  • Lovely Village Location
  • Easy Walk to Village Amenities
  • Close to North Cornish Coastline

A fantastic opportunity to purchase an individual building plot with planning permission for a 3 bedroom house with no CIL in this popular rural village.  Freehold.  


 


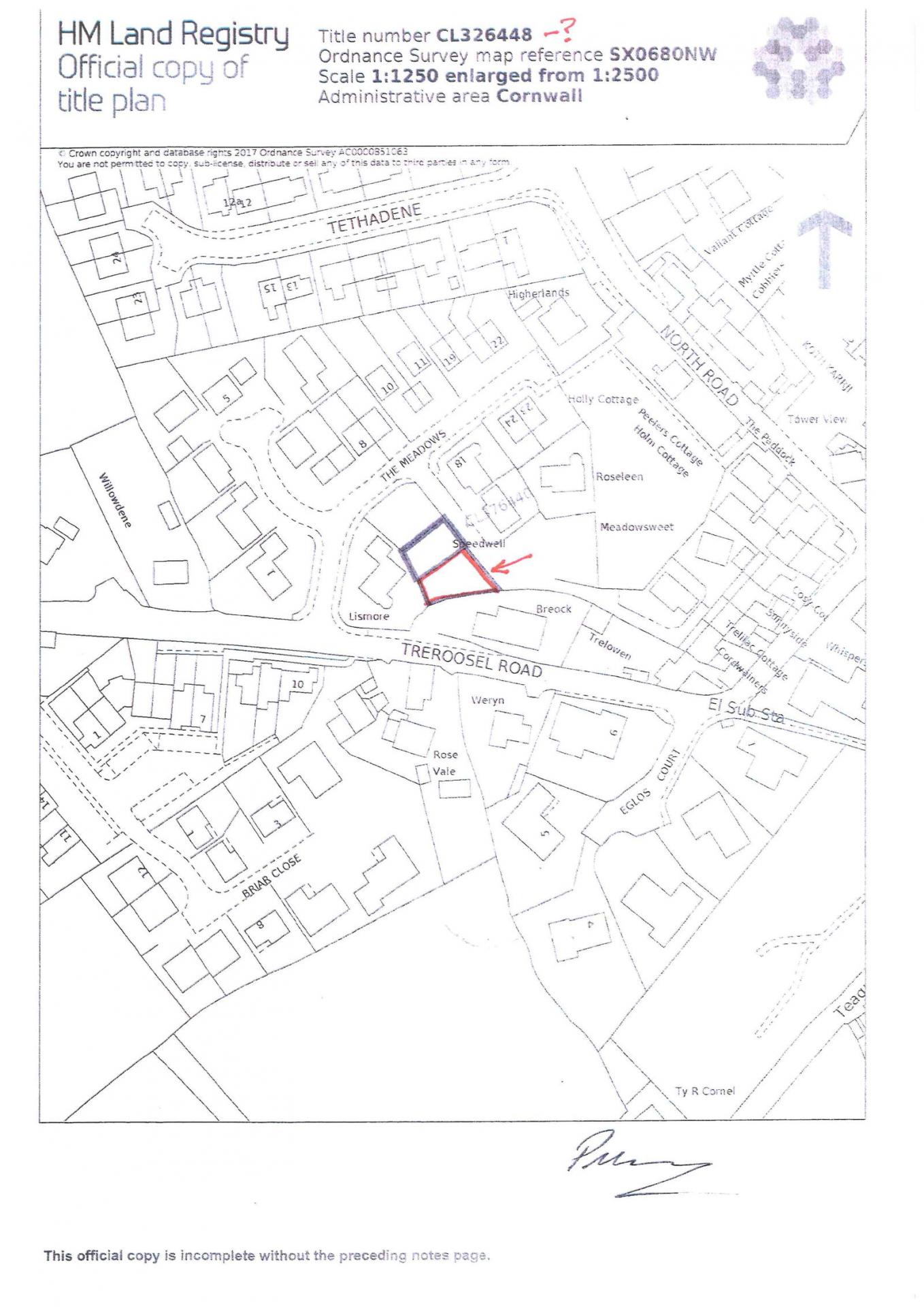
A rare opportunity to purchase an individual building plot being the last one available within the popular development known as The Meadows.  The Meadows is situated on the outskirts of the village and we have included within these particulars a copy of the Land Registry title plan.  Planning permission was granted, application no. PA19/09071 for the erection of a 3 bedroom house with parking space which has been commenced as the other 2 properties have now been constructed.  The site is ready to go having been cleared and we understand services are available on the plot.  We also have a letter from Cornwall Council confirming that the above development is not liable to a CIL charge because the development is zero rated in the Cornwall CIL charging schedule.  We have all the associated paperwork together with plans etc for any interested parties within the office.  


 


What3words:   ///hatch.handwriting.legroom


 


Please contact our Wadebridge Office for further details.


 


 

Important Information

  • This is a Freehold property.

Property Ref: 193_1232010

Share:

Similar Properties

Canworthy Water, Launceston, PL15

Plot | £136,500

A superb and exciting opportunity to purchase an individual non estate building plot with outline planning consent for t...

Rowan Road, Wadebridge PL27

2 Bedroom Terraced House | £133,750

Beautifully presented 2 double bedroom shared ownership property with a 50% share in this popular part of Wadebridge.  L...

Queens Park, Wadebridge, PL27

3 Bedroom Semi-Detached House | £125,000

Of interest to cash buyers only this 3 bedroom semi detached home of Cornish unit construction with generous rear garden...

St Breward, PL30

Plot | £140,000

A rare opportunity to purchase a highly individual non estate building plot with outline planning permission for the con...

Polmorla Road, Wadebridge, PL27 7FG

2 Bedroom Terraced House | £140,000

Forming part of this smart purpose built development is this very spacious 2 bedroom modern house subject to a 106 agree...

Rowan Road, Wadebridge PL27

2 Bedroom Semi-Detached House | £148,500

£148,500 for 55% Share A genuinely spacious shared ownership modern home with excellent side garden and amazing views to...

Cole Rayment & White (Wadebridge)

Wadebridge, Cornwall, PL27 7DG

01208 813595

How much is your home worth?

Use our short form to request a valuation of your property.

Request a Valuation

Mortgage Calculator

Amount Borrowed: £
Total Amount Repayable: £
Total Monthly Payment: £
©2025 The Guild of Property Professionals. All rights reserved. Terms and Conditions | Privacy Policy | Cookie Policy | Complaints Policy | Members Login
The Guild of Property Professionals Trading Address: 121 Park Lane, London W1K 7AG. GPEA Limited. Registered in England & Wales.  Company No: 02819824.  Registered Office Address: 2 St. Stephen's Court, St. Stephen's Road, Bournemouth, Dorset, England, BH2 6LA.  VAT Registration No: 576 8795 61
Book a Property Valuation Update Cookies Preferences