Land - Wainfleet Road, Boston PE21 9RW

Guide Price
£3,500,000
Under Offer
This property listing is now Under Offer

Residential Development for sale in Wainfleet Road

LOCATION
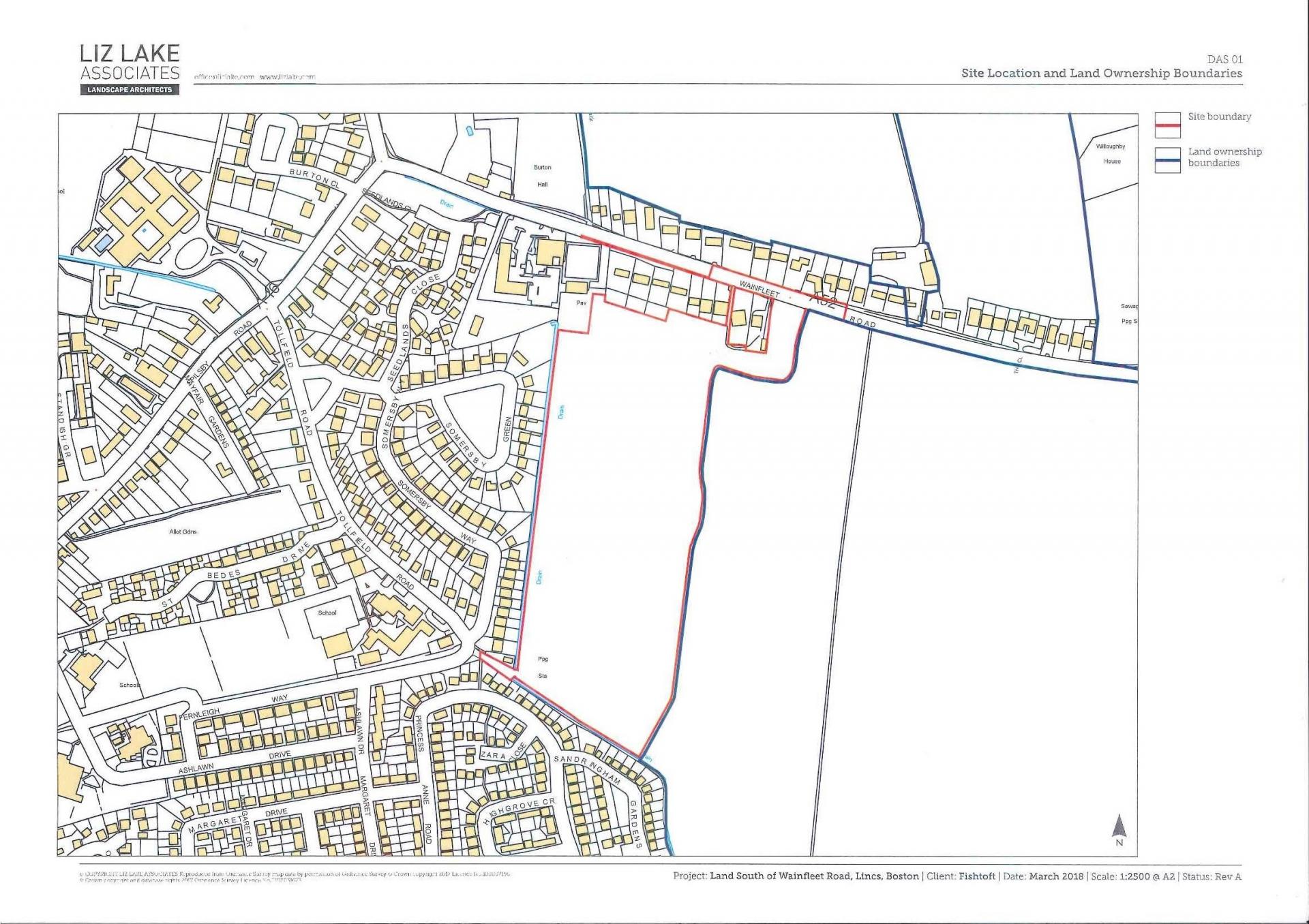
** Approximately 23.72 Acres (9.6 Hectares) with Outline Consent - Very Convenient High Profile Position on the Northern Outskirts of Boston - Easy Access to the A52 and Town Centre - Bordering Established Residential Development on the North and South West Sides - Close to Pilgrim Hospital - Extensive Town Centre Facilities Close by including Retail, Education and Leisure **

The land is situated on the south side of Wainfleet Road on the north side of Boston with easy access from the A52. The site is about 1.5 miles north east of the centre of Boston, a large regional and important centre for the east part of Lincolnshire providing very extensive facilities and amenities. These include banking, shopping, retail, leisure, primary and secondary education establishments, together with the significant facility of Pilgrim Hospital. The town also has a significant Port facility.

Boston lies towards the east side of this part of Lincolnshire and within easy travelling distance of the following nearby market towns and centres – Spalding 14 miles, Sleaford 17 miles, Skegness 23 miles, Peterborough 35 miles. Boston also has the benefit of a rail connection with lines to Skegness and Sleaford. The A1 is easily accessible at Newark and Peterborough and the main East Coast line connections are also available at Newark, Grantham and Peterborough. There are good sporting and leisure facilities in the area, including a number of indoor and outdoor centres, together with two Golf Courses close to Boston, two courses at Skegness and other facilities, including the SSSI at The Wash nearby.

DESCRIPTION
The land extends to approximately 23.72 Acres (9.6 Hectares) and is offered for sale as a whole. A plan showing the land for identification purposes is edged red is included in these Particulars. It has a useful frontage to Wainfleet Road and uninterrupted views, particularly to the east of undeveloped land. The site is of a good shape capable of logical development for residential purposes and is currently in agricultural use / production.

SERVICES
Whilst we believe that mains services are available, it will be the responsibility of interested parties to carry out their own specific enquiries as to the availability, capacity and practical connection, together with relevant cost implications for accessing services to the site.

Interested parties must make their own specific enquiries with the relevant service providers to obtain the necessary information on which to understand the provision of and need for servicing of the site.

VAT
VAT will not be chargeable on the purchase price unless the Vendor elects to waive the exemption to VAT (opts to Tax), in which case interested parties will be advised.

PLANNING
Planning Consent has been granted in Outline by Boston Borough Council under Application Reference No: B-17-0511 dated 4 October 2018 subject to Conditions. A copy of the Consent, together with a considerable number of other documents are available to download from Boston Borough Council’s Planning website. These documents include:

• Outline Planning Consent
• Landscape and Visual Impact Appraisals
• Transport Assessment
• Flood Risk Assessment and Drainage Strategy
• Design and Access Statement
• Preliminary Ecological Appraisal
• Archaeological Evaluation
• Various Plans
• Section 106 Agreement

SECTION 106 AGREEMENT
There is also a Section 106 Agreement in place which, amongst other matters, relates to:

(a) Affordable / Social Housing provision to equal 20% of the number of dwellings built, of which 70% of the 20% are to be affordable to rent and 30% shared ownership. The rent is capped at not more than 80% of market rent.

(b) A maximum of 200 dwellings, to include the Affordable allocation, is allowed under the current Consent.

(c) Section 106 contributions for primary, secondary and sixth form educational facilities.

(d) There is a Health Care contribution required.

(e) Various off-site works / footpath also form part of the Section 106 obligations together with a minor contributions for travel, plan, monitoring and legal costs.


OTHER
UPLIFT / CLAWBACK PROVISION
The property will be sold subject to an uplift provision to secure a further payment to the vendors should the property be sold following the grant of planning permission for non-residential use or the development of the property for non-residential use, at a rate of 50% of any increase in value beyond the price paid for a period of 25 years.

BASIS OF OFFERING
The land is offered for sale on an unconditional basis for sale with the benefit of freehold tenure and vacant possession, subject to the existing Planning Consents and Section 106 Agreement.

TENURE
The land is for sale with the benefit of freehold tenure and will be offered with vacant possession on completion. If immediate use of the land is not required, then following completion, the Vendor will be pleased to enter into a cropping or tenancy arrangement on a short term basis during the intervening period prior to development.


ALTERNATIVE USE
There is the possibility that alternative use of part of the site, particularly the land closer to the Wainfleet Road frontage, might be possible and should interested parties wish to discuss / explore that possibility, then please refer to the Agents as this may impact on the overall offering balance of the Development.

VIEWING
By appointment

Note: All parties entering onto the property do so entirely at their own risk and neither the Vendors nor their Agents will accept any liability for damage to persons or property as a result of being on the site. Please take all appropriate precautions when visiting the property.
______________________________________________________________

Property Ref: 58325_101505012002

Share:

Similar Properties

Residential Development Land - Boston

Not Specified | POA

• Approximately 23.72 Acres (9.6 Hectares) with Outline Consent• Very Convenient High Profile Position on the Northern O...

Ulyatt's Farm, Amber Hill, Boston

Land | Guide Price £3,250,000

Approximately 103.74 hectares (256.34 acres) or thereabouts of Grade 2 arable land, farmyard with farm buildings (950T g...

Tholomas Drove, Wisbech St Mary, PE13 4SN

Land | £2,750,000

* Hiptoft Farm* 279.822 Acres (113.24 Hectares) Arable Land* Farm Buildings* Detached 4 Bedroom Bungalow* For Sale as a...

Red Lodge Farm, Ravens Gate, Holbeach St Johns

Land | Guide Price £3,650,000

A fully equipped productive agricultural holding situated with the Lincolnshire Fens. Highly productive Grade 1 and Grad...

Washway Road, Fleet, Hollbeach PE12 8LT

Distribution Warehouse | £4,750,000

• Distribution Centre - Buildings area approximately 9,872 m² (106,264 sq. ft)• Site area approximately 7.57 acres (3.06...

Longstaff (Spalding)

5 New Road, Spalding, Lincolnshire, PE11 1BS

01775 766766

How much is your home worth?

Use our short form to request a valuation of your property.

Request a Valuation

Mortgage Calculator

Amount Borrowed: £
Total Amount Repayable: £
Total Monthly Payment: £
©2025 The Guild of Property Professionals. All rights reserved. Terms and Conditions | Privacy Policy | Cookie Policy | Complaints Policy | Members Login
The Guild of Property Professionals Trading Address: 121 Park Lane, London W1K 7AG. GPEA Limited. Registered in England & Wales.  Company No: 02819824.  Registered Office Address: 2 St. Stephen's Court, St. Stephen's Road, Bournemouth, Dorset, England, BH2 6LA.  VAT Registration No: 576 8795 61
Book a Property Valuation Update Cookies Preferences